New Search Family, Subfamily and Tribe List

SubFamily Cerambycinae

Tribe Eburiini
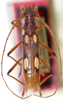
Beraba spinosa (Zajciw, 1967)

Eburia spinosa Zajciw
Specimen Type: holotype
Sex: m
Institution: MNRJ Museu Nacional Universidade do Rio Janeiro, Brazil
Photographer: Steve Lingafelter
Collection Location: Pucallpa, Ucayali, Peru
7001

130425