_Martins_Magdalena_Colombia_Rev_Bras_Ent.jpg)
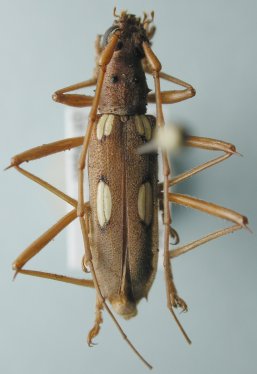
Specimen Type: holotype Sex: f Institution: Canadian Museum of Nature, Ottawa Collection Location: 12 miles West of Santa Marta, Magdalena, Colombia 21663
|

Institution: LGBC Larry G. Bezark Collection, Sacramento, California, USA Photographer: Larry G. Bezark Determiner: Juan Pablo Botero Collection Location: 37 km W of Dangriga, Stann Creek District, Belize 48854
|

Institution: LGBC Larry G. Bezark Collection, Sacramento, California, USA Photographer: Larry G. Bezark Determiner: Juan Pablo Botero Collection Location: 37 km W of Dangriga, Stann Creek District, Belize 48855
|
|