_Galileo_and_Martins.jpg)
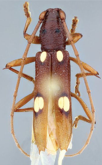
Specimen Type: paratype 4998
|

Institution: MZSP Museu de Zoologia da Universidade de São Paulo, Brazil Photographer: Antonio Santos-Silva Collection Location: Vereda La Belleza, Santander, Colombia 68763
|
_G_M_MZSP_Vereda_La_Belleza_Santander_Co_SS.jpg)
Institution: MZSP Museu de Zoologia da Universidade de São Paulo, Brazil Photographer: Antonio Santos-Silva Collection Location: Vereda La Belleza, Santander, Colombia 68764
|
|