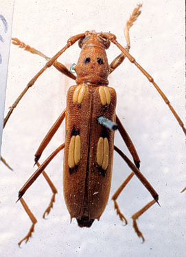
_Bates_MNHN_=_Beraba.jpg)
Eburia longicollis Bates Specimen Type: holotype Sex: f Institution: MNHN Museum of Natural History Paris, France Collection Location: Tefé (originally Ega), Amazonas, Brazil 20270
|
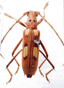
_Bates_MNHN_JAC_=_Beraba_longicollis.jpg)
Eburia longicollis Bates Specimen Type: holotype Sex: f Institution: MNHN Museum of Natural History Paris, France Photographer: John Chemsak Collection Location: Tefé (originally Ega), Amazonas, Brazil 16185
|
_MNRJ_Guri_Bolivar_Venezuela_det_Wappes.jpg)
Institution: MNRJ Museu Nacional Universidade do Rio Janeiro, Brazil Photographer: Larry G. Bezark Determiner: Wappes Collection Location: Guri, Bolivar, Venezuela 33122
|
|