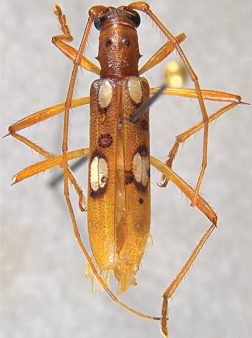
_Garcia_UARC_Res_La_Flecha_San_Jacinto_Bolivar_Co_JPB.jpg)
Sex: m Institution: Univ del Atlántico Reg Caribe, Atlántico, Colombia Photographer: Juan Pablo Botero Collection Location: Reserva La Flecha, San Jacinto, Bolivar, Colombia 68760
|
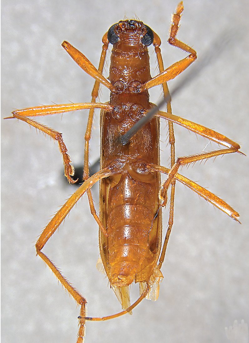
_Garcia_UARC_Res_La_Flecha_San_Jacinto_Bolivar_Co_JPB.jpg)
Sex: m Institution: Univ del Atlántico Reg Caribe, Atlántico, Colombia Photographer: Juan Pablo Botero Collection Location: Reserva La Flecha, San Jacinto, Bolivar, Colombia 68761
|
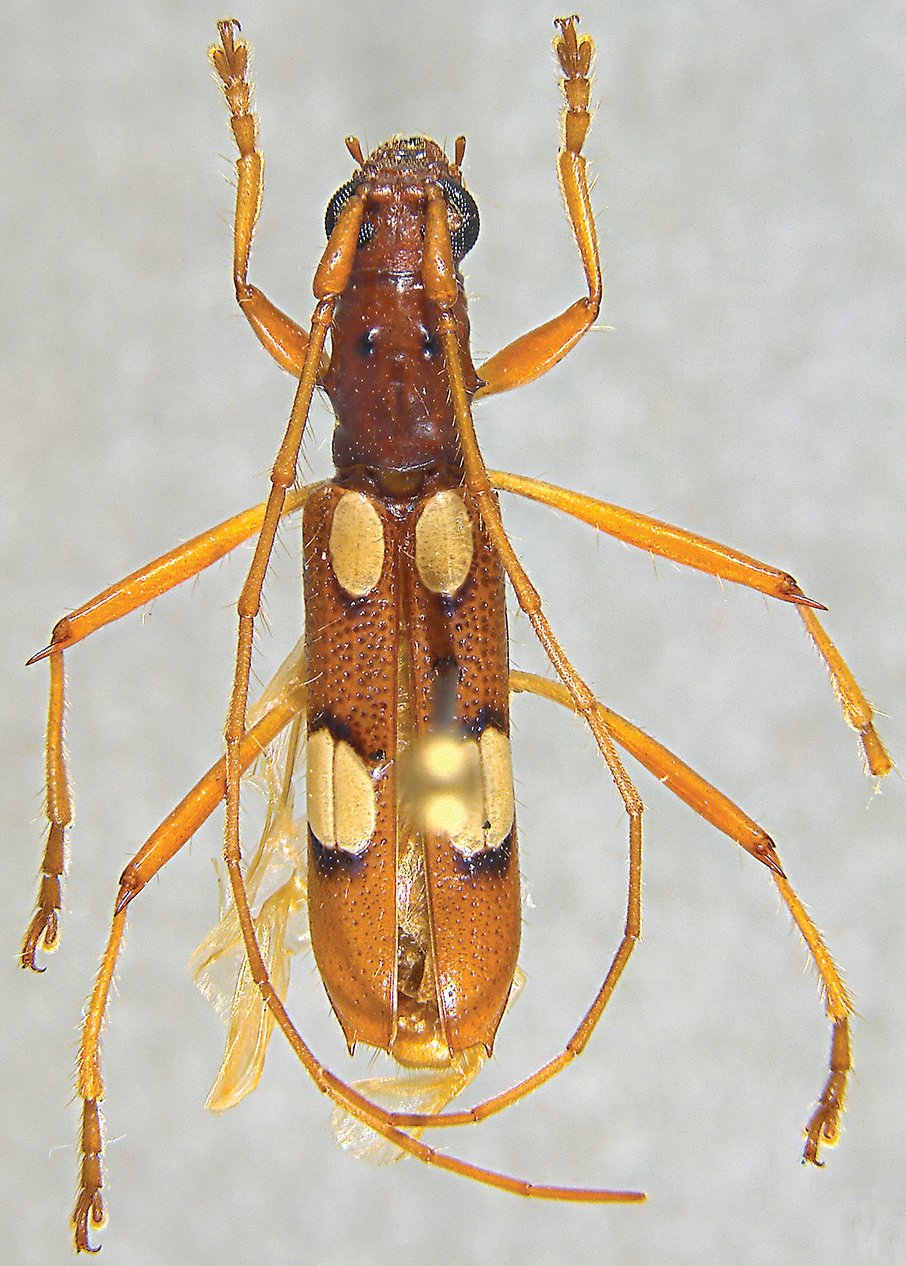
_Garcia_UARC_Res_La_Flecha_San_Jacinto_Bolivar_Co_JPB.jpg)
Sex: f Institution: Univ del Atlántico Reg Caribe, Atlántico, Colombia Photographer: Juan Pablo Botero Collection Location: Reserva La Flecha, San Jacinto, Bolivar, Colombia 68762
|
|