New Search Family, Subfamily and Tribe List

SubFamily Cerambycinae

Tribe Eburiini
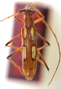
Beraba decora (Zajciw, 1961)

Eburia decora Zajciw
Specimen Type: holotype
Sex: f
Institution: MNRJ Museu Nacional Universidade do Rio Janeiro, Brazil
Photographer: Steve Lingafelter
Collection Location: Goias, Brazil
6871

130425