New Search Family, Subfamily and Tribe List

SubFamily Cerambycinae

Tribe Cerambycini Sphallotrichina
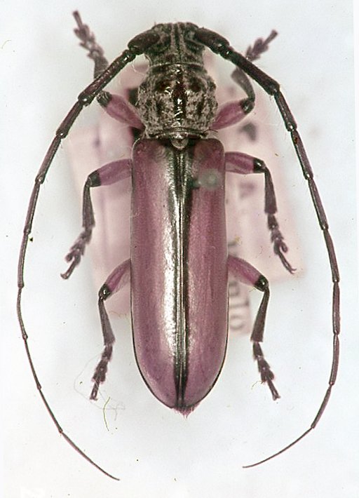
Xestiodion similis (Melzer, 1920)

Xestiodion similis Melzer
Specimen Type: lectotype
Sex: m
Institution: MZSP Museu de Zoologia da Universidade de São Paulo, Brazil
Photographer: JS Moure
Collection Location: Avenida Paulista, Sao Paolo, Brazil
23239


Sex: m
23240

130425