_Newman_BMNH_Brazil_nowXestiodion_LGB.jpg)
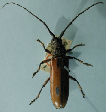
Criodion pictipes Newman Specimen Type: holotype Institution: BMNH British Museum Natural History, London, UK Photographer: Larry G. Bezark Collection Location: Brazil 46570
|
_Newman_BMNH_Brazil_nowXestiodion_LGB.jpg)
Criodion pictipes Newman Specimen Type: holotype Institution: BMNH British Museum Natural History, London, UK Photographer: Larry G. Bezark Collection Location: Brazil 46571
|

Institution: IRSNB Royal Belgian Institute of Natural Sciences, Brussels, Belgium Photographer: Noel Mal Collection Location: Brazil 39481
|
_UCB.jpg)
Institution: UCB Essig Museum of Entomology, Berkeley, California, USA Photographer: Larry G. Bezark 14773
|
_Heinkel_photo.jpg)
Photographer: Wolfgang Heinkel 27470
|
|