 Bates MNHN Tapajos, Para, Brazil Moure.jpg)
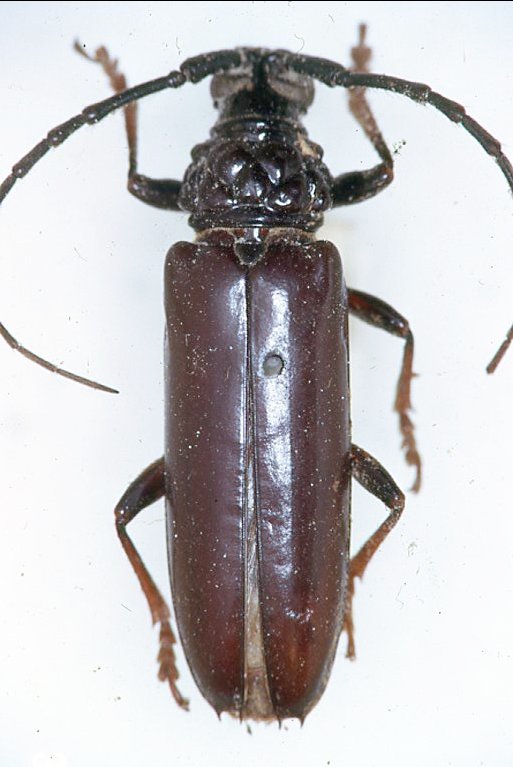
Specimen Type: holotype Institution: MNHN Museum of Natural History Paris, France Photographer: JS Moure Collection Location: Tapajos, Para, Brazil 102032
|

Institution: UCB Essig Museum of Entomology, Berkeley, California, USA Photographer: Larry G. Bezark Determiner: Chemsak 13323
|

Photographer: Denis Faure Collection Location: French Guiana 24076
|
 Bates Ramirez Coll Pucacuro, Rio Corrientes, Loreto, Peru SS.jpg)
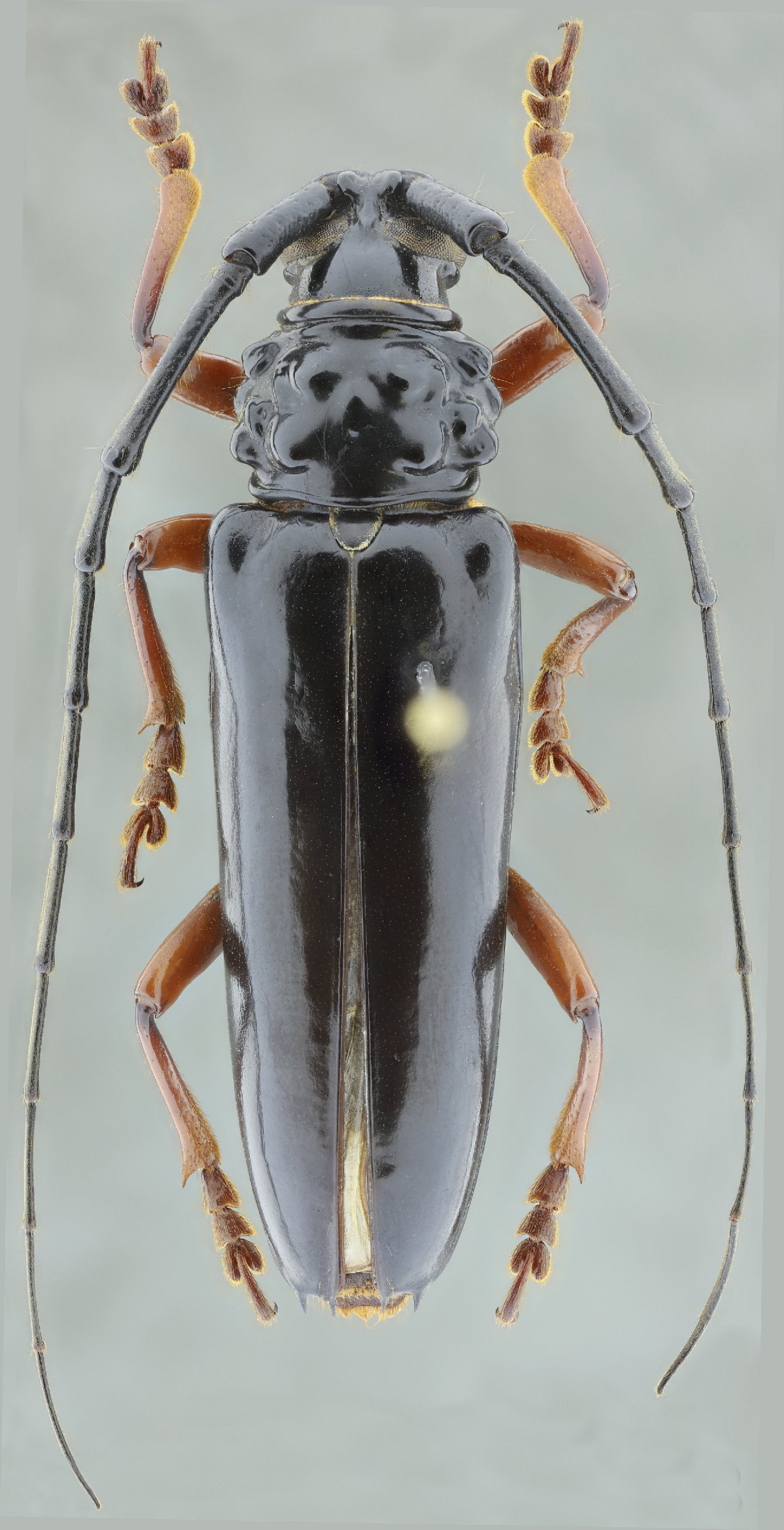
Sex: m Institution: Ramirez Collection Photographer: Antonio Santos-Silva Collection Location: Pucacuro, Rio Corrientes, Loreto, Peru 100696
|
.jpg)
Institution: FTH Frank T. Hovore collection (now at California Academy of Sciences) Photographer: Larry G. Bezark Collection Location: km1 Napo-Galeras road, Napo Province, Ecuador 28322
|
.jpg)
Institution: FTH Frank T. Hovore collection (now at California Academy of Sciences) Photographer: Larry G. Bezark Collection Location: km1 Napo-Galeras road, Napo Province, Ecuador 28323
|
_Kaw_Cacao_Coralie_Fr_Guiana_Giuglaris.jpg)
Sex: mf Photographer: Jean-Louis Giuglaris Collection Location: Kaw, French Guiana 29337
|
|