New Search Family, Subfamily and Tribe List

SubFamily Cerambycinae

Tribe Cerambycini Sphallotrichina
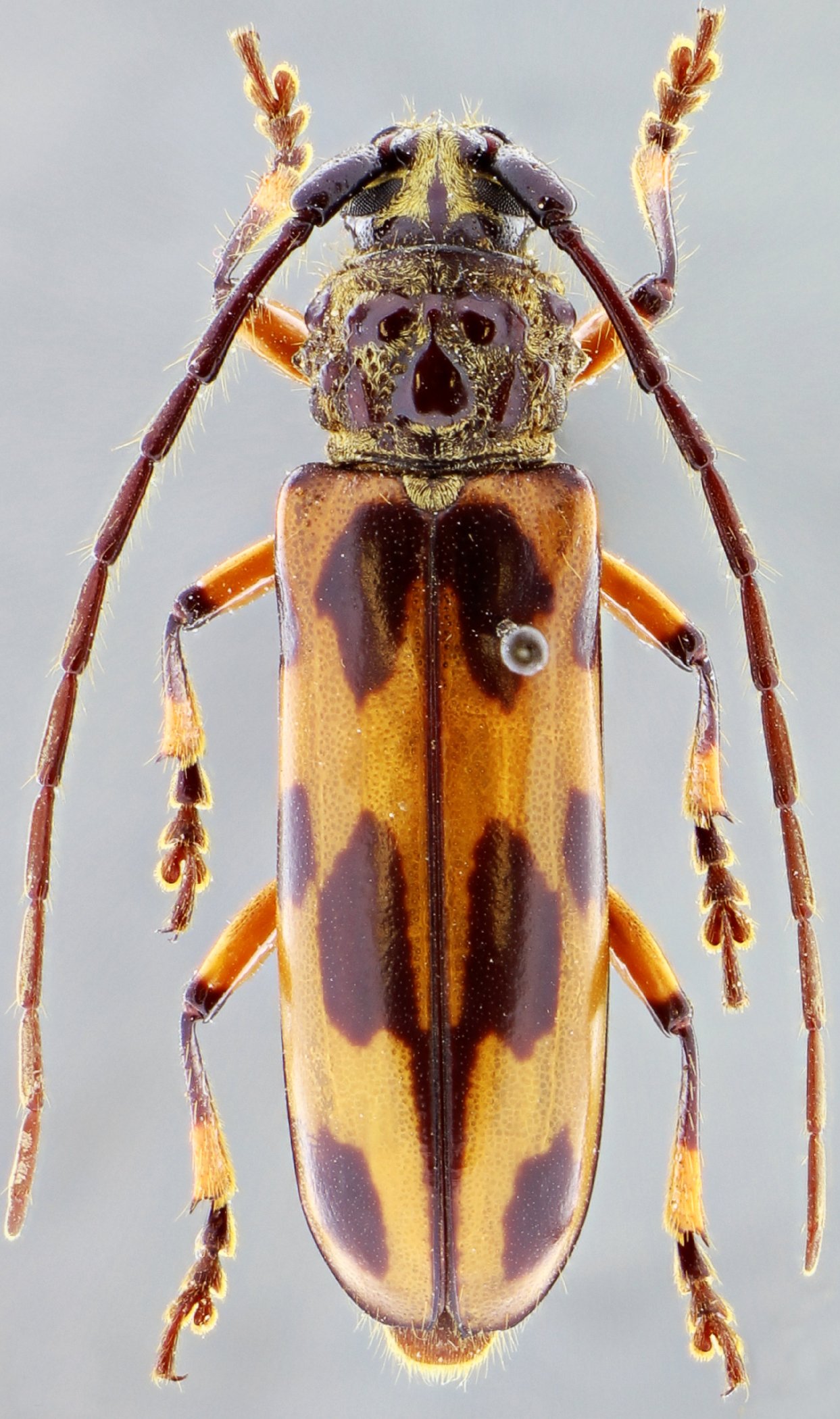
Sphallambyx superbum (Aurivillius, 1910)

Sphallenum superbum Aurivillius
Specimen Type: holotype
Sex: m
Institution: NHRS Naturhistoriska Riksmuseet, Stockholm, Sweden
Photographer: JS Moure
Collection Location: Colombia
102031


Sex: m
Photographer: Antonio Santos-Silva
68126


24073

130425