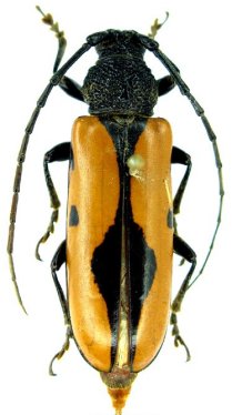
_Lane_MNRJ_MZSP_Obidos_Para_Brazil.jpg)
Specimen Type: holotype Sex: f Institution: MNRJ Museu Nacional Universidade do Rio Janeiro, Brazil Photographer: Larry G. Bezark Collection Location: Obidos, Para, Brazil 33750
|
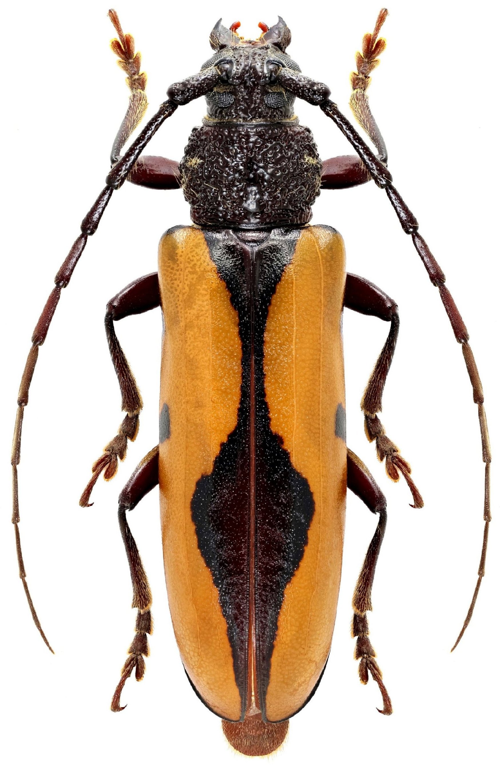
 Lane Nat Res Nouragues, French Guiana Robin.jpg)
Sex: f Photographer: Frédéric Robin Collection Location: Nature Reserve Nouragues, French Guiana 80542
|
 Lane Ramirez Coll Pucacuro, Rio Corrientes, Loreto, Peru SS.jpg)
Sex: f Institution: Ramirez Collection Photographer: Antonio Santos-Silva Collection Location: Pucacuro, Rio Corrientes, Loreto, Peru 100691
|

Photographer: Jean-Louis Giuglaris Collection Location: Saul, French Guiana 29263
|

Institution: UCB Essig Museum of Entomology, Berkeley, California, USA Photographer: Larry G. Bezark 12369
|
|