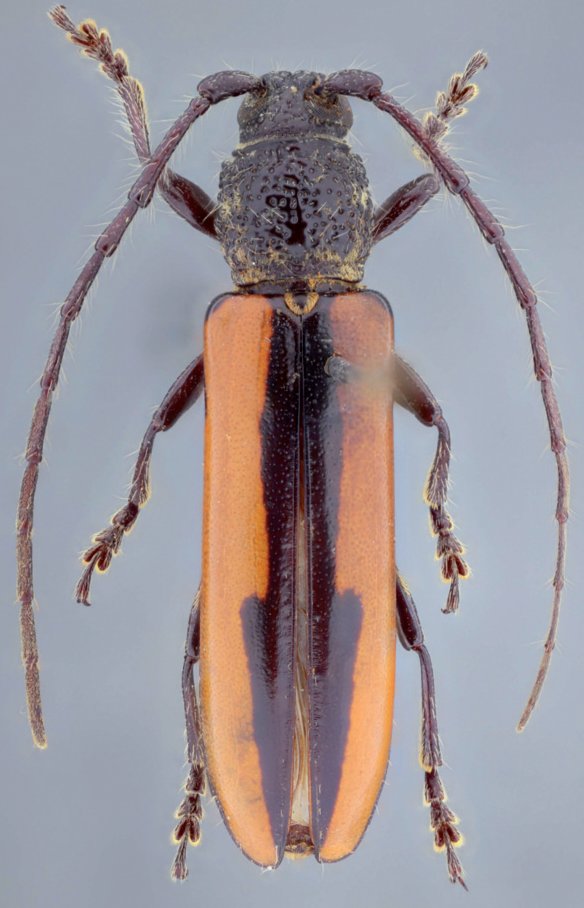
_Det_Fragoso_UCB.jpg)
Institution: UCB Essig Museum of Entomology, Berkeley, California, USA Photographer: Larry G. Bezark Determiner: Fragoso 12357
|
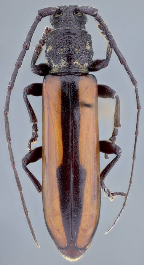
_MZSP_Brazil_SS.jpg)
Sex: m Institution: MZSP Museu de Zoologia da Universidade de São Paulo, Brazil Photographer: Antonio Santos-Silva Collection Location: Linhares, Espirito Santo, Brazil 73835
|
_MZSP_Brazil_SS.jpg)
Sex: f Institution: MZSP Museu de Zoologia da Universidade de São Paulo, Brazil Photographer: Antonio Santos-Silva Collection Location: São Sebastião, Sao Paolo, Brazil 73836
|
_MZSP_Brazil_SS.jpg)
Sex: f Institution: MZSP Museu de Zoologia da Universidade de São Paulo, Brazil Photographer: Antonio Santos-Silva Collection Location: São Sebastião, Sao Paolo, Brazil 73837
|
|