_Gressitt_CAS_3783_LGB.jpg)
Xylotrechus angulithorax Gressitt Specimen Type: holotype Sex: m Institution: CAS California Academy of Sciences, San Francisco, CA, USA Photographer: Larry G. Bezark Collection Location: Gusuku, Amami-Oshima Islands, Japan 66667
|
_CAS.jpg)
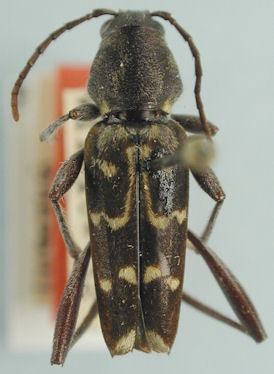
Xylotrechus angulithorax Gressitt Specimen Type: allotype Sex: f Institution: CAS California Academy of Sciences, San Francisco, CA, USA Photographer: Larry G. Bezark Collection Location: Gusuku, Amami-Oshima Islands, Japan 66668
|