_Gahan_BMNH_Brazil_nowParasphallenum_LGB.jpg)
Sphallenum literatum Gahan Specimen Type: holotype Sex: m Institution: BMNH British Museum Natural History, London, UK Photographer: Larry G. Bezark Collection Location: Brazil 24074
|
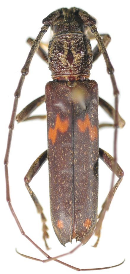
_(Chabrillac)_MNRJ_Tefe_AM_Brazil_Monne_pic.jpg)
Sex: m Institution: MNRJ Museu Nacional Universidade do Rio Janeiro, Brazil Photographer: Monne Collection Location: Tefe (originally Ega), Amazonas, Brazil 64000
|