 det Napp Brazil JCPC LGB.jpg)
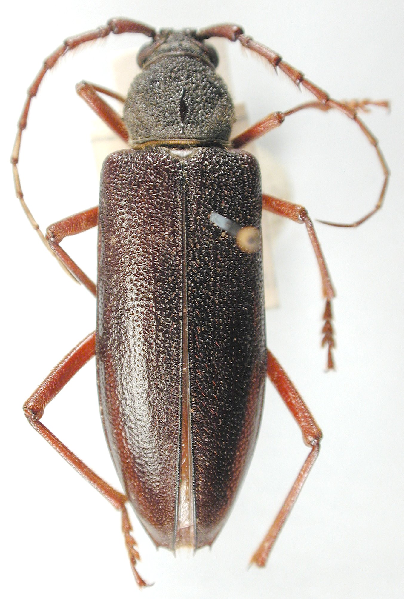
Institution: JCPC Jim Cope Collection, San Jose, California, USA now at CSCA, Sacramento Photographer: Larry G. Bezark Determiner: Dilma Napp Collection Location: Brazil 98919
|

11481
|

Institution: UCB Essig Museum of Entomology, Berkeley, California, USA Photographer: Larry G. Bezark Collection Location: Rio Salado, Brazil 11482
|
_Ceram_Sul_Americanos.jpg)
21417
|
|