New Search Family, Subfamily and Tribe List

SubFamily Cerambycinae

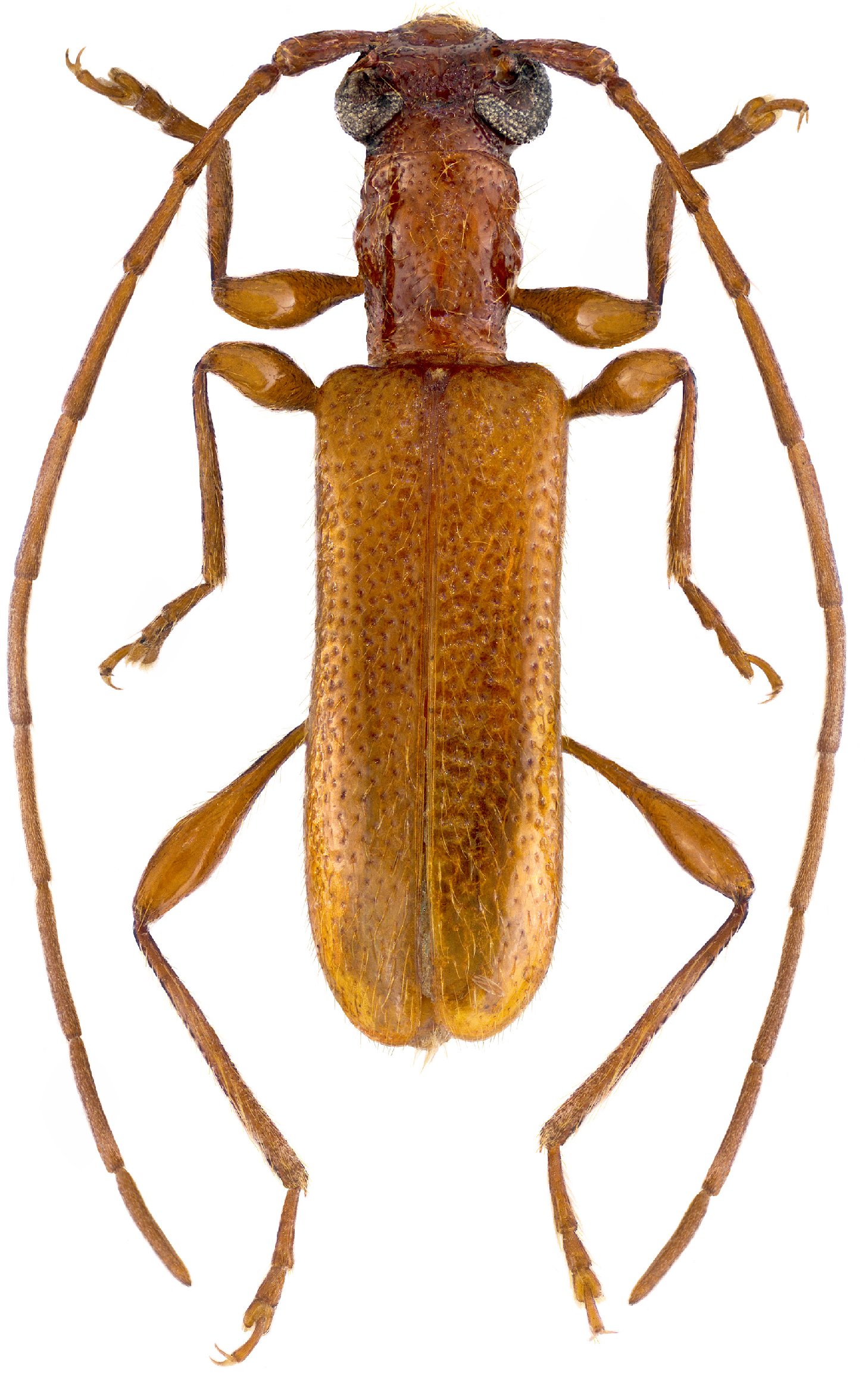
Tribe Obriini
Obrium brevicorne Plavilstshikov 1940

Photographer: Udo Schmidt
Collection Location: Zanadvorovka Village, Khasansky dist, Primorky krai, Russian Far East
79812

130425