 Gounelle BMNH Brazil now Ochrodion Moure.jpg)
Crioction gahani Gounelle Specimen Type: syntype Institution: BMNH British Museum Natural History, London, UK Photographer: JS Moure Collection Location: Brazil 23101
|
_Gounelle_BMNH_Brazil_nowOcrodion_LGB.jpg)
Crioction gahani Gounelle Specimen Type: syntype Institution: BMNH British Museum Natural History, London, UK Photographer: Larry G. Bezark Collection Location: Brazil 46567
|
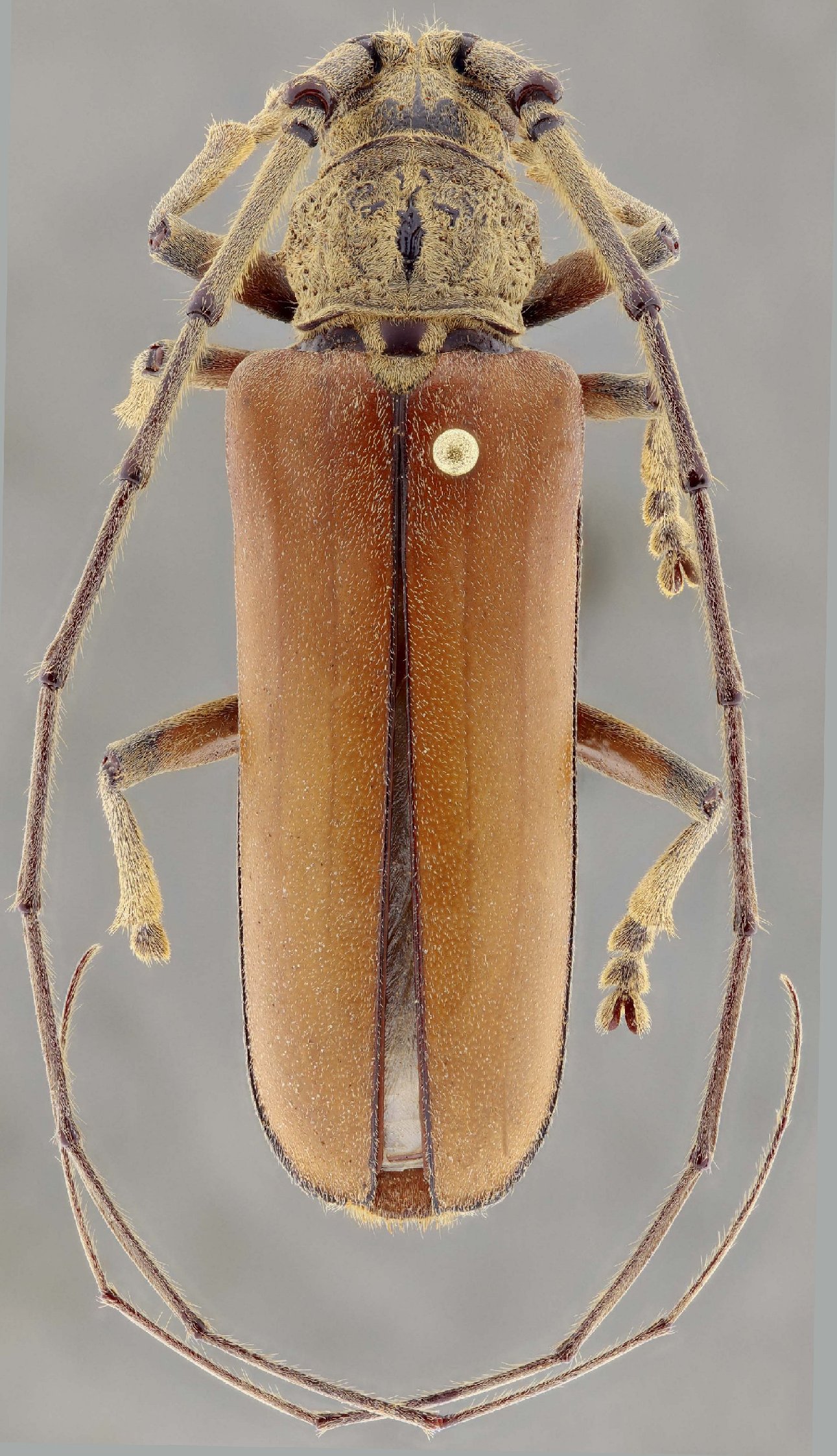
 ZUFMS Chapadao do Sul, Mato Grosso do Sul, Brazil SS.jpg)
Sex: m Institution: ZUFMS Coleção Zoológica da Universidade Federal de Mato Grosso do Sul, Brazil Photographer: Antonio Santos-Silva Collection Location: Chapadao do Sul, Mato Grosso do Sul, Brazil 101017
|
|