 Gahan BMNH Sarayacu, Ucayali, Loreto, Peru Moure2.jpg)
Specimen Type: syntype Sex: m Institution: BMNH British Museum Natural History, London, UK Photographer: JS Moure Collection Location: Sarayacu, Ucayali, Loreto, Peru 77669
|
 Gahan Montagne des Kaw, French Guiana Robin.jpg)
Sex: m Photographer: Frédéric Robin Collection Location: Montagne des Chevaux, French Guiana 78150
|

Photographer: Jean-Louis Giuglaris Collection Location: Kaw, French Guiana 28668
|
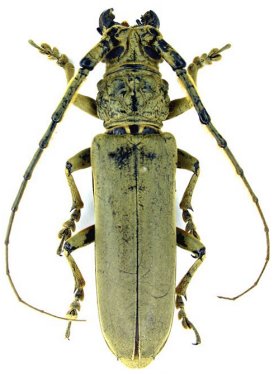
_Gahan_MNRJ_SWL.jpg)
Sex: f Institution: MNRJ Museu Nacional Universidade do Rio Janeiro, Brazil Photographer: Steve Lingafelter 6204
|
_Gahan_MNRJ_SWL.jpg)
Sex: m Institution: MNRJ Museu Nacional Universidade do Rio Janeiro, Brazil Photographer: Steve Lingafelter 6205
|

6206
|
|