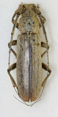
_(m)_Audinet-Serville_BMNH_Tav.jpg)
Specimen Type: holotype Sex: m Institution: BMNH British Museum Natural History, London, UK Photographer: Gerard Tavakilian Collection Location: Brazil 15883
|
 Buquet MNHN Brazil now testac Moure.jpg)
Criodion angustatum Buquet Specimen Type: holotype Sex: f Institution: BMNH British Museum Natural History, London, UK Photographer: JS Moure Collection Location: Brazil 77658
|
 Bates BMNH Bahia, Brazil now toment Moure.jpg)
Criodion hirsutum Bates Specimen Type: holotype Sex: f Institution: BMNH British Museum Natural History, London, UK Photographer: JS Moure Collection Location: Bahia, Brazil 77659
|
 Lucas MNHN Brazil Azadeh Taghavian.jpg)
Criodion pilosum Lucas Specimen Type: syntype Sex: f Institution: MNHN Museum of Natural History Paris, France Photographer: Azadeh Taghavian Collection Location: Brazil 77660
|
 Lucas MNHN Brazil Azadeh Taghavian.jpg)
Criodion pilosum Lucas Specimen Type: syntype Sex: f Institution: MNHN Museum of Natural History Paris, France Photographer: Azadeh Taghavian Collection Location: Brazil 77661
|
 Lucas MNHN Brazil Azadeh Taghavian.jpg)
Criodion pilosum Lucas Specimen Type: syntype Sex: f Institution: MNHN Museum of Natural History Paris, France Photographer: Azadeh Taghavian Collection Location: Brazil 77662
|
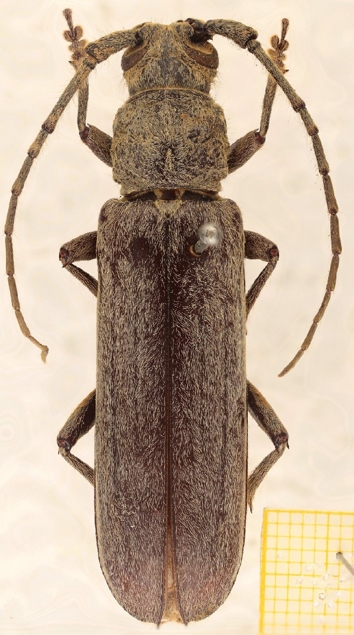
 Aud-Serv MZSP Brazil SS.jpg)
Sex: m Institution: MZSP Museu de Zoologia da Universidade de São Paulo, Brazil Photographer: Antonio Santos-Silva Collection Location: Brazil 77663
|
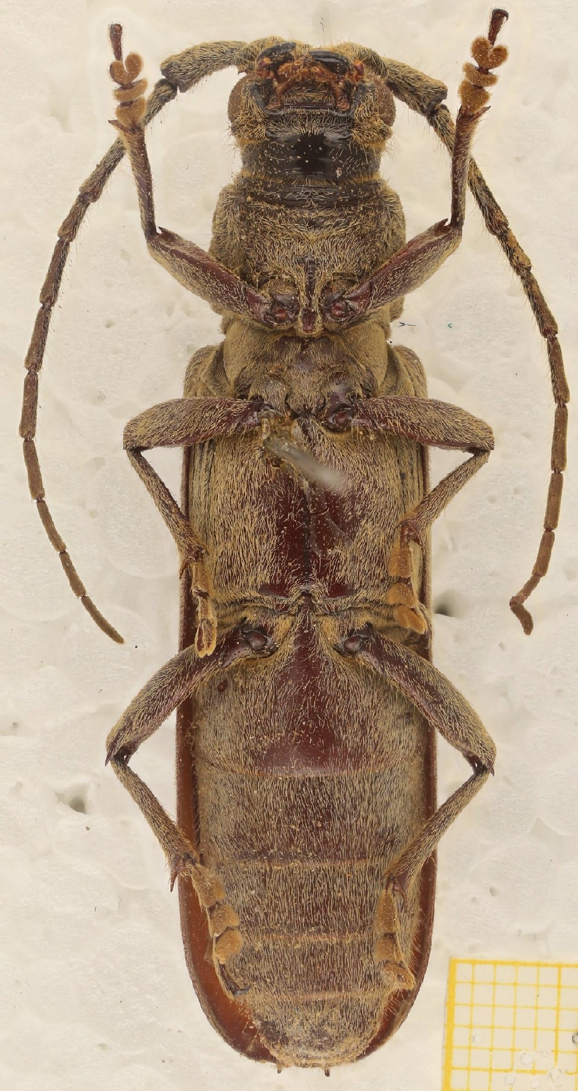
 Aud-Serv MZSP Brazil SS.jpg)
Institution: MZSP Museu de Zoologia da Universidade de São Paulo, Brazil Photographer: Antonio Santos-Silva Collection Location: Brazil 77664
|
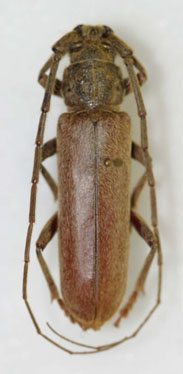
_Buquet_MNRJ_SWL.jpg)
Sex: f Institution: MNRJ Museu Nacional Universidade do Rio Janeiro, Brazil Photographer: Steve Lingafelter 6190
|
_Buquet_MNRJ_SWL.jpg)
Sex: m Institution: MNRJ Museu Nacional Universidade do Rio Janeiro, Brazil Photographer: Steve Lingafelter 6191
|

Institution: CAS California Academy of Sciences, San Francisco, CA, USA Photographer: Larry G. Bezark 6199
|
_Audinet-Serville_MNRJ_SWL.jpg)
Sex: f Institution: MNRJ Museu Nacional Universidade do Rio Janeiro, Brazil Photographer: Steve Lingafelter 6201
|
_Audinet-Serville_MNRJ_SWL.jpg)
Sex: m Institution: MNRJ Museu Nacional Universidade do Rio Janeiro, Brazil Photographer: Steve Lingafelter 6202
|

Institution: UCD University of California, Davis, California, USA Photographer: Larry G. Bezark 6203
|

Photographer: Ole Mehl Collection Location: Department President Hayes, Paraguay 36702
|