_Komiya_IRSNB_Vietnam_J_Pirkl_pic5.jpg)
Specimen Type: holotype Sex: m Institution: RBINS Royal Belgian Institute of Natural Sciences, Brussels, Belgium Photographer: J Pirkl Collection Location: Mt Ngoc Linh, Kon Tum Province, Vietnam 65354
|
_Komiya_IRSNB_Vietnam_J_Pirkl_pic5.jpg)
Specimen Type: holotype Sex: m Institution: RBINS Royal Belgian Institute of Natural Sciences, Brussels, Belgium Photographer: J Pirkl Collection Location: Mt Ngoc Linh, Kon Tum Province, Vietnam 65355
|
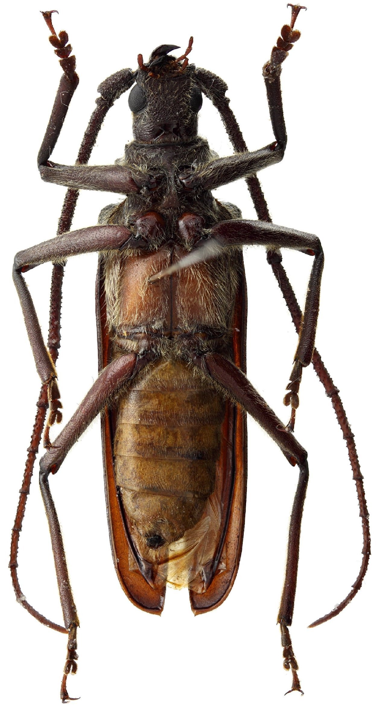
_Komiya_IRSNB_Vietnam_J_Pirkl_pic5.jpg)
Specimen Type: holotype Sex: m Institution: RBINS Royal Belgian Institute of Natural Sciences, Brussels, Belgium Photographer: J Pirkl Collection Location: Mt Ngoc Linh, Kon Tum Province, Vietnam 65356
|
_Komiya_IRSNB_Vietnam_J_Pirkl_pic5.jpg)
Specimen Type: holotype Sex: m Institution: RBINS Royal Belgian Institute of Natural Sciences, Brussels, Belgium Photographer: J Pirkl Collection Location: Mt Ngoc Linh, Kon Tum Province, Vietnam 65357
|
_Komiya_ISRNB_Mt_Ngoc_Linh_Kon_Tum_Province_Vietnam.jpg)
Specimen Type: allotype Sex: f Institution: IRSNB Royal Belgian Institute of Natural Sciences, Brussels, Belgium Photographer: Ziro Komiya Collection Location: Mt Ngoc, Linh, Kon Tum Province, Vietnam 45650
|
_Komiya_Drumont_Coll_Dakchung_Sekong_Province_Laos.jpg)
Specimen Type: paratype Sex: m Institution: Drumont Collection Photographer: Noel Mal Collection Location: Dakchung, Sekong Province, Laos 45649
|

Institution: LGBC Larry G. Bezark Collection, Sacramento, California, USA Photographer: Larry G. Bezark Collection Location: Dak Song, Dak Nong Province, Vietnam 49280
|
|