_Santos-Silva_and_Martins_MNRJ_GN_=_Hisarai.jpg)
Physopleurus seripierrae Santos-Silva & Martins Specimen Type: holotype Institution: MNRJ Museu Nacional Universidade do Rio Janeiro, Brazil Photographer: Gino Nearns 24031
|

Physopleurus seripierriae Santos-Silva & Martins Specimen Type: holotype Institution: MNRJ Museu Nacional Universidade do Rio Janeiro, Brazil Photographer: Steve Lingafelter 12142
|
_Santos-Silva_and_Martins_Iheringia_=_Hisarai.jpg)
Specimen Type: paratype Sex: mf 23640
|
 (SS Mart) Tonantins, Amazonas, Brazil Robin.jpg)
Sex: m Institution: topotype Photographer: Frédéric Robin Collection Location: Tonantins, Amazonas, Brazil 81474
|
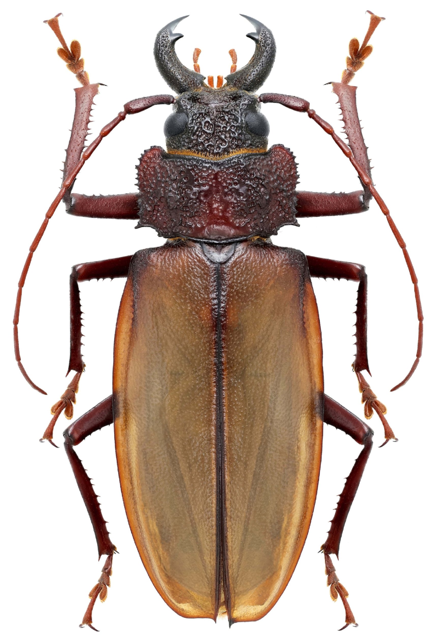
_(SS_and_Martins)_NP_Lord.jpg)
Sex: m Photographer: Nathan P. Lord 42241
|
_Tonantins_Amazonas_Brazil_Kozlov.jpg)
Sex: fm Photographer: Anton Kozlov Collection Location: Tonantins, Amazonas, Brazil 64197
|