_(m)_Hovore_and_Santos-Silva_4-6km_SSE_Buena_Vista_Santa_Cruz_Bolivia_USNM.jpg)
Nothopleurus santacruzensis Hovore & Santos-Silva Specimen Type: holotype Sex: m Institution: NMNH United States National Museum, Washington, DC, USA Collection Location: 4-6km Buena Vista, Santa Cruz, Bolivia 20555
|
_(f)_Hovore_and_Santos-Silva.jpg)
Nothopleurus santacruzensis Hovore & Santos-Silva Specimen Type: paratype Sex: f 20556
|
_SS_and_Hovore_=_Hovorodon.jpg)
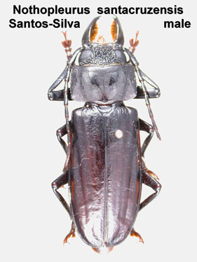
Nothopleurus santacruzensis Santos-Silva & Hovore Specimen Type: paratype Sex: m Photographer: Antonio Santos-Silva 29594
|
_SS_and_Hovore_=_Hovorodon.jpg)
Nothopleurus santacruzensis Santos-Silva & Hovore Specimen Type: paratype Sex: f Photographer: Antonio Santos-Silva 29595
|
_SS_and_Hovore_=_Hovorodon.jpg)
Nothopleurus santacruzensis Santos-Silva & Hovore Specimen Type: paratype Sex: m Photographer: Antonio Santos-Silva 29596
|
_SS_and_Hovore_=_Hovorodon.jpg)
Nothopleurus santacruzensis Santos-Silva & Hovore Specimen Type: paratype Sex: f Photographer: Antonio Santos-Silva 29597
|
_Hovore_and_Santos-Silva_Bolivia_Wappes_Photo.jpg)
Sex: f Photographer: Jim Wappes Collection Location: Bolivia 10632
|
_Hovore_and_Santos-Silva_Bolivia_Wappes_Photo.jpg)
Sex: m Photographer: Jim Wappes Collection Location: Bolivia 10633
|