_Chemsak_and_Noguera_Siguat_Honduras_UCB.jpg)
Specimen Type: holotype Sex: m Institution: EMEC Essig Museum of Entomology, Berkeley, CA, USA Photographer: Larry G. Bezark Collection Location: Siguatepeque, Honduras 15241
|
_(f)_Chemsak_and_Noguera_Peten_Tikal_Guatemala_PPE.jpg)
Specimen Type: holotype Sex: m Institution: EMEC Essig Museum of Entomology, Berkeley, CA, USA Photographer: PPE Collection Location: Siguatepeque, Honduras 4471
|
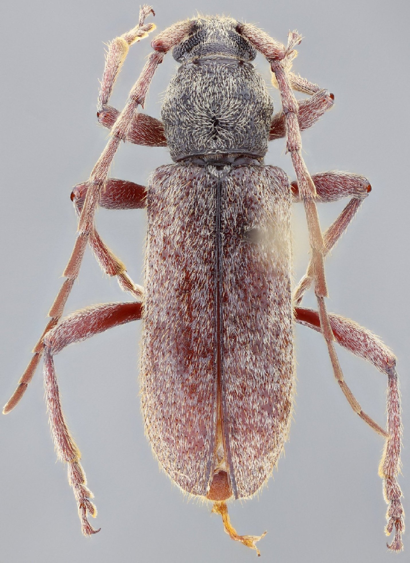
 Ch Nog EMEC Siguatepeque, Honduras Peter Oboyski.jpg)
Specimen Type: holotype Sex: m Institution: EMEC Essig Museum of Entomology, Berkeley, CA, USA Photographer: Peter Oboyski Collection Location: Siguatepeque, Honduras 76641
|
 Ch Nog EMEC Siguatepeque, Honduras Peter Oboyski.jpg)
Specimen Type: holotype Sex: m Institution: EMEC Essig Museum of Entomology, Berkeley, CA, USA Photographer: Peter Oboyski Collection Location: Siguatepeque, Honduras 76642
|
 Chem Nog Skillman coll Sierra las Minas, rd to San Lorenzo, Zacapa, Guatemala SS.jpg)
Sex: f Institution: Skillman Collection Photographer: Antonio Santos-Silva Collection Location: Sierra las Minas, rd to San Lorenzo, Zacapa, Guatemala 76637
|
 Chem Nog Skillman coll Sierra las Minas, rd to San Lorenzo, Zacapa, Guatemala SS.jpg)
Sex: f Institution: Skillman Collection Photographer: Antonio Santos-Silva Collection Location: Sierra las Minas, rd to San Lorenzo, Zacapa, Guatemala 76638
|
 Chem Nog Skillman coll Sierra las Minas, rd to San Lorenzo, Zacapa, Guatemala SS.jpg)
Sex: f Institution: Skillman Collection Photographer: Antonio Santos-Silva Collection Location: Sierra las Minas, rd to San Lorenzo, Zacapa, Guatemala 76639
|
 Chem Nog Skillman coll Sierra las Minas, rd to San Lorenzo, Zacapa, Guatemala SS.jpg)
Sex: f Institution: Skillman Collection Photographer: Antonio Santos-Silva Collection Location: Sierra las Minas, rd to San Lorenzo, Zacapa, Guatemala 76640
|
|