New Search Family, Subfamily and Tribe List

SubFamily Cerambycinae

Tribe Cerambycini Sphallotrichina
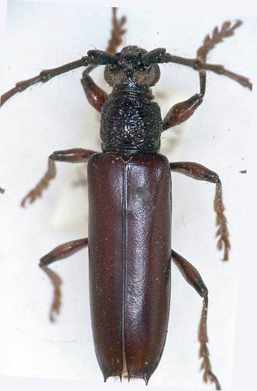
Coleoxestia brevipennis (Bates, 1870)

Xestia brevipennis Bates
Specimen Type: syntype
Institution: MNHN Museum of Natural History Paris, France
Photographer: JS Moure
Collection Location: Tefe (orig Ega), Amazonas, Brazil
23244

130425