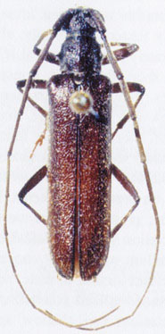
_(m)_Eya_and_Chemsak_Cahiers_21.jpg)
Specimen Type: holotype Sex: m Determiner: Les Cahiers Magellanes 4221
|
_Eya_and_Chemsak_Monteverde_Puntarenas_Costa_Rica_UCB.jpg)
Specimen Type: holotype Institution: UCB Essig Museum of Entomology, Berkeley, California, USA Photographer: Larry G. Bezark Collection Location: Monteverde, Puntarenas, Costa Rica 15133
|
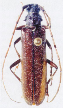
_(f)_Eya_and_Chemsak_Cahiers_21.jpg)
Specimen Type: allotype Sex: f Institution: UCB Essig Museum of Entomology, Berkeley, California, USA Determiner: Les Cahiers Magellanes Collection Location: Monteverde, Puntarenas, Costa Rica 4220
|
_Eya_and_Chemsak_Monteverde_Puntarenas_Costa_Rica_UCB.jpg)
Specimen Type: allotype Institution: UCB Essig Museum of Entomology, Berkeley, California, USA Photographer: Larry G. Bezark Collection Location: Monteverde, Puntarenas, Costa Rica 15132
|
|