_(m)_Eya_and_Chemsak_Cahiers_21.jpg)
Specimen Type: holotype Sex: m Institution: UCB Essig Museum of Entomology, Berkeley, California, USA Determiner: Les Cahiers Magellanes Collection Location: de Pirre Serrania Prov Darien Panama 4205
|
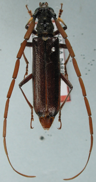
_Eya_and_Chemsak_de_Pirre_Serrania_Prov_Darien_Panama_UCB.jpg)
Specimen Type: holotype Sex: m Institution: UCB Essig Museum of Entomology, Berkeley, California, USA Photographer: Larry G. Bezark Collection Location: de Pirre Serrania Prov, Darien, Panama 15127
|