New Search Family, Subfamily and Tribe List

SubFamily Cerambycinae

Tribe Alanizini
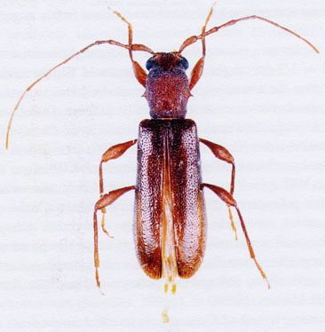
Alanizus tortuosus Di Iorio 2003

Specimen Type: holotype
Sex: m
Institution: ODI Di Iorio Collection
Determiner: Les Cahiers Magellanes
4072


Specimen Type: allotype
Sex: f
Institution: ODI Di Iorio Collection
Determiner: Les Cahiers Magellanes
4071

130425