_Buquet_MNHN_FTH_=_Pseudocometes.jpg)
Cometes argutulus Buquet Specimen Type: holotype Sex: f Institution: MNHN Museum of Natural History Paris, France Collection Location: Cayenne, French Guiana 15843
|
_Buquet_MNHN_Tav_French_Guiana_=_Pseudocometes.jpg)
Cometes argutulus Buquet Specimen Type: holotype Sex: f Institution: MNHN Museum of Natural History Paris, France Photographer: Gerard Tavakilian Collection Location: Cayenne, French Guiana 15844
|
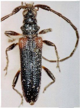
_Villiers_MNHN_FTH.jpg)
Pseudocometes bicoloripes Villiers Specimen Type: holotype Sex: m Institution: MNHN Museum of Natural History Paris, France Collection Location: Tocantins, Amazonas, Brazil 18349
|
_Bates_MNHN_FTH_=_Pseudocometes_coeruleus.jpg)
Cometes coeruleus Bates Specimen Type: holotype Sex: m Institution: MNHN Museum of Natural History Paris, France Collection Location: Tefé (originally Ega), Amazonas, Brazil 15845
|
_Bates_MNHN_Ega_SS_photo_=_Pseudocometes_argutulus.jpg)
Cometes scapularis Bates Specimen Type: holotype Sex: f Institution: MNHN Museum of Natural History Paris, France Photographer: Antonio Santos-Silva Collection Location: Ega, Brazil 28479
|
_Det_Tavakilian_French_Guiana_UCB_100186.jpg)
Institution: UCB Essig Museum of Entomology, Berkeley, California, USA Photographer: Larry G. Bezark Determiner: Tavakilian Collection Location: French Guiana 12705
|
_LGB.jpg)
Photographer: Larry G. Bezark 12706
|
 Buquet Montagne des Chevaux, French Guiana Robin.jpg)
Sex: f Photographer: Frédéric Robin Collection Location: Montagne des Chevaux, French Guiana 29298
|