_Martins_and_Galileo_MZSP_SWL.jpg)
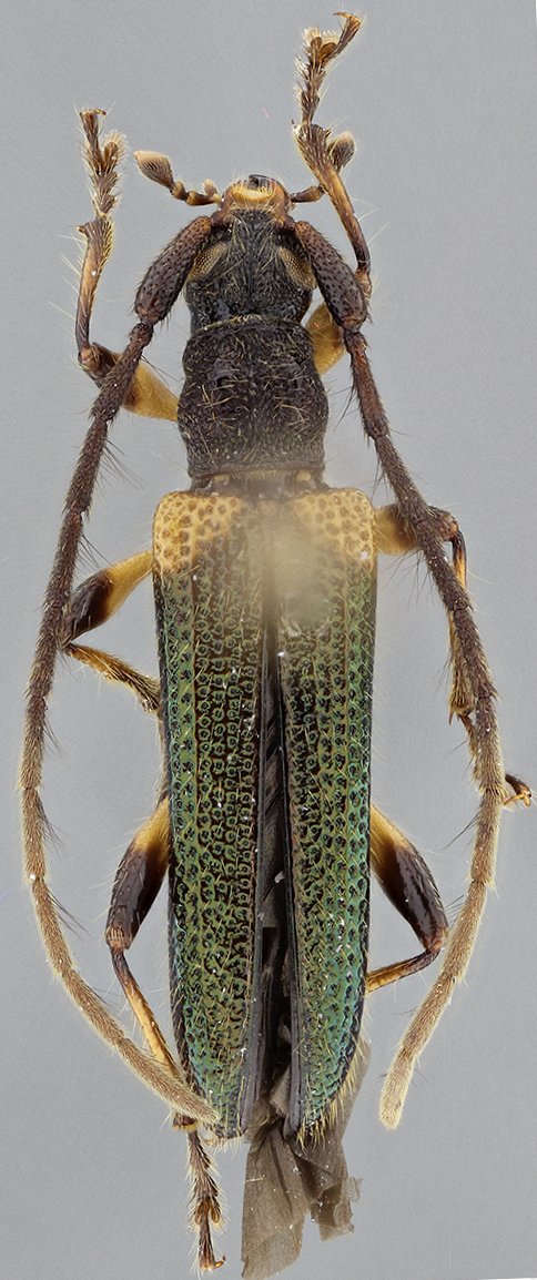
Specimen Type: holotype Institution: MZSP Museu de Zoologia da Universidade de São Paulo, Brazil Photographer: Steve Lingafelter 4057
|

Photographer: Juan Pablo Botero Collection Location: Magdalena, Colombia 68765
|
_M_G_Magdalena_Colombia_Botero.jpg)
Photographer: Juan Pablo Botero Collection Location: Magdalena, Colombia 68766
|
_M_G_Magdalena_Colombia_Botero.jpg)
Photographer: Juan Pablo Botero Collection Location: Magdalena, Colombia 68767
|
_Martins_and_Galileo_SS_photo.jpg)
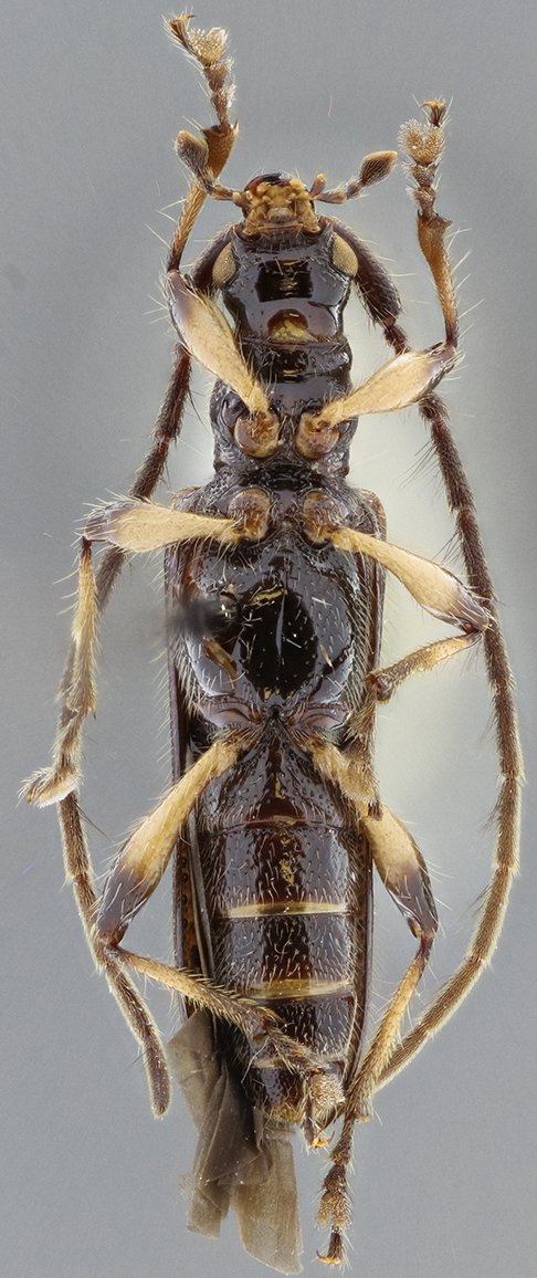
Sex: f Photographer: Antonio Santos-Silva 28459
|