 Melzer MZSP Fazenda Campos, Minas Gerais, Brazil now Oculi JPB SS.jpg)
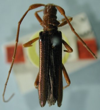
Distenia pulchra Melzer Specimen Type: lectotype Sex: m Institution: MZSP Museu de Zoologia da Universidade de São Paulo, Brazil Photographer: Juan Pablo Botero & Antonio Santos-Silva Collection Location: Fazenda Campos, Minas Gerais, Brazil 6697
|
 Melzer MZSP Fazenda Campos, Minas Gerais, Brazil now Oculi JPB SS.jpg)
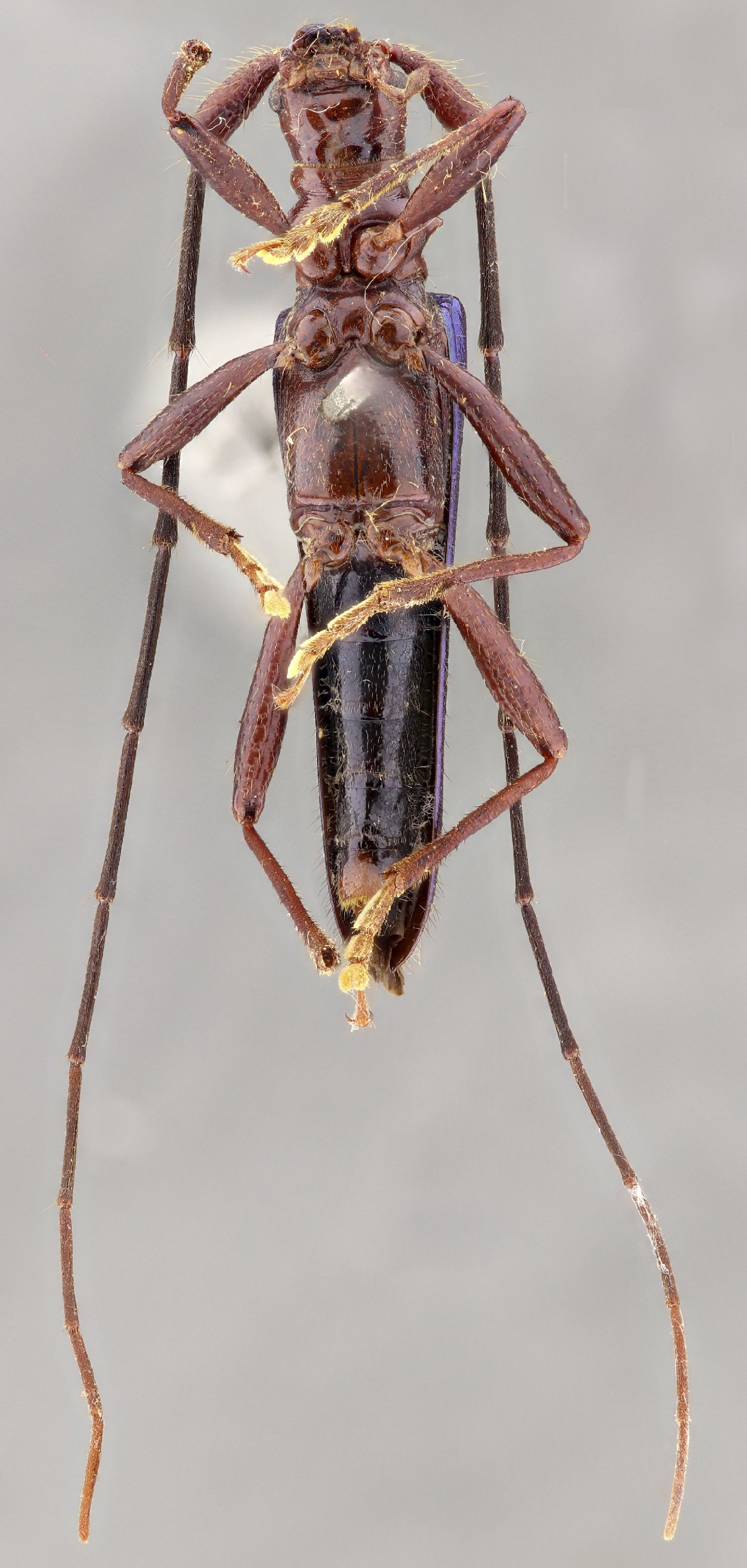
Distenia pulchra Melzer Specimen Type: lectotype Sex: m Institution: MZSP Museu de Zoologia da Universidade de São Paulo, Brazil Photographer: Juan Pablo Botero & Antonio Santos-Silva Collection Location: Fazenda Campos, Minas Gerais, Brazil 28484
|
_Villiers_MNHN_FTH.jpg)
Distenia mirabilis Villiers Specimen Type: holotype Sex: m Institution: MNHN Museum of Natural History Paris, France Photographer: Frank T. Hovore Collection Location: Brazil 16112
|
_Villiers_BMNH_now Oculipetilus_pulch_LGB.jpg)
Distenia mirabilis Villiers Specimen Type: paratype Institution: BMNH British Museum Natural History, London, UK Photographer: Larry G. Bezark 46622
|