New Search Family, Subfamily and Tribe List

SubFamily

Tribe Disteniini
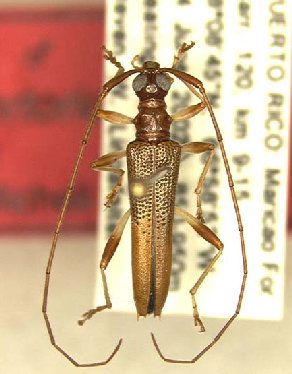
Novantinoe puertoricensis (Lingafelter & Micheli) 2004

Specimen Type: holotype
Institution: NMNH United States National Museum, Washington, DC, USA
Photographer: Steve Lingafelter
Collection Location: Puerto Rico
6696

130425