New Search Family, Subfamily and Tribe List

SubFamily

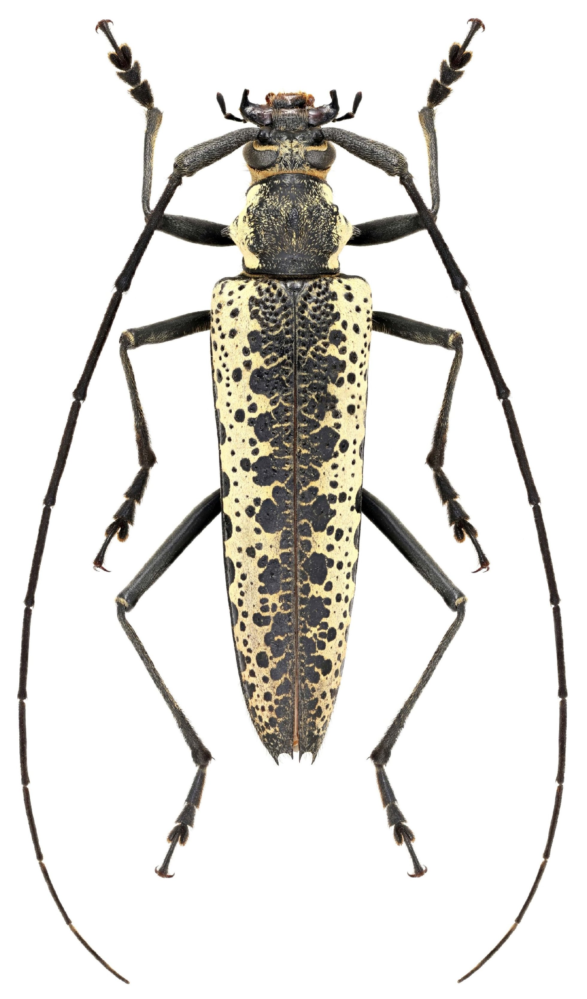
Tribe Disteniini
Disteniazteca pilati (Chevrolat, 1857)

Photographer: Boppe
30832


Photographer: Frédéric Robin
Collection Location: Santa Maura, Dantali Reserve, Nicaragua
6694


Photographer: Larry G. Bezark
6695

130425