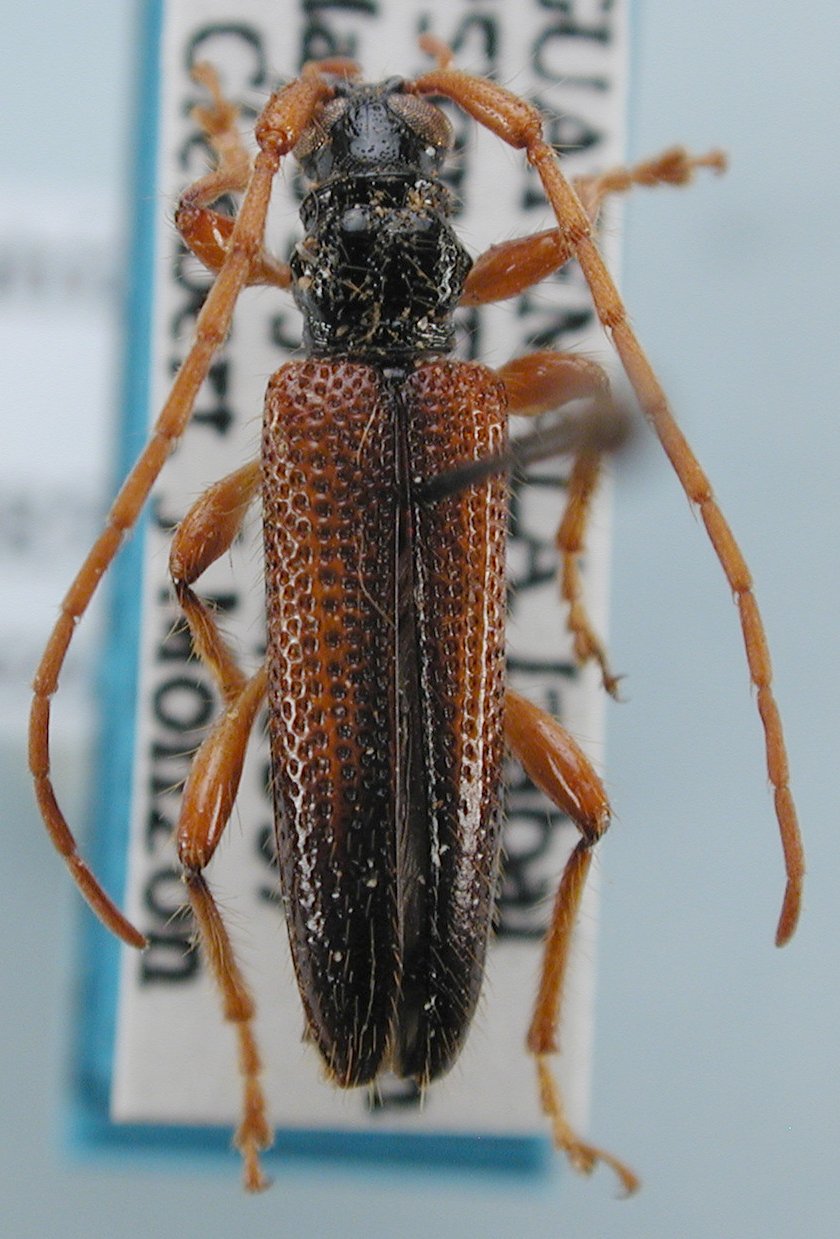
_Bates_BMNH_Sinanja_Valley_Guatemala_LGB.jpg)
Distenia pictipes Bates Specimen Type: holotype Sex: m Institution: BMNH British Museum Natural History, London, UK Photographer: Larry G. Bezark Collection Location: Sinanja Valley, Guatemala 46624
|
_Bates_BMNH_Sinanja_Valley_Guatemala_LGB.jpg)
Distenia pictipes Bates Specimen Type: holotype Sex: m Institution: BMNH British Museum Natural History, London, UK Photographer: Larry G. Bezark Collection Location: Sinanja Valley, Guatemala 46625
|
_LGBC_25km_SE_Morales_Izabal_Guatemala_LGB.jpg)
Institution: LGBC Larry G. Bezark Collection, Sacramento, California, USA Photographer: Larry G. Bezark Collection Location: 25 km SE Morales, Izabal, Guatemala 67863
|

Institution: BCA Biologia Centrali Americana 6693
|
|