_Bates_BMNH_Calderas_Guatemala_Barclay_photo.jpg)
Distenia lineatopora Bates Specimen Type: holotype Sex: m Institution: BMNH British Museum Natural History, London, UK Photographer: Max Barclay, BMNH Collection Location: Calderas, Chimaltenango, Guatemala 49766
|
_Bates_BMNH_Calderas_Guatemala_Barclay_photo.jpg)
Distenia lineatopora Bates Specimen Type: holotype Sex: m Institution: BMNH British Museum Natural History, London, UK Photographer: Max Barclay, BMNH Collection Location: Calderas, Chimaltenango, Guatemala 49767
|
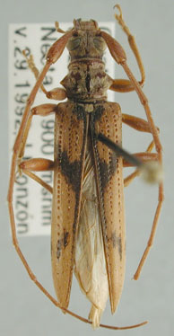
_Bates_BMNH_Calderas_Chimaltenango_Guatemala_LGB.jpg)
Distenia lineatopora Bates Specimen Type: holotype Sex: m Institution: BMNH British Museum Natural History, London, UK Photographer: Larry G. Bezark Collection Location: Calderas, Chimaltenango, Guatemala 46620
|
_Bates_BMNH_Calderas_Guatemala_Barclay_photo.jpg)
Distenia lineatopora Bates Specimen Type: holotype Sex: m Institution: BMNH British Museum Natural History, London, UK Photographer: Max Barclay, BMNH Collection Location: Calderas, Chimaltenango, Guatemala 49765
|

Institution: BCA Biologia Centrali Americana 6691
|
_Bates_Huehuetanango_Guatemala_LGB.jpg)
Specimen Type: probably new Institution: LGBC Larry G. Bezark Collection, Sacramento, California, USA Photographer: Larry G. Bezark Collection Location: Huehuetanango, Guatemala 6690
|
|