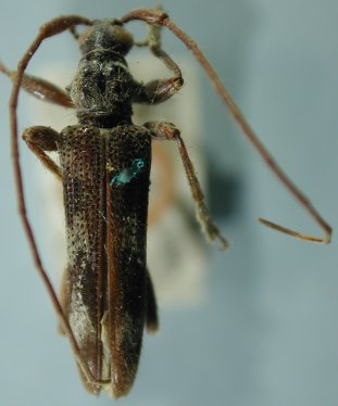
_Bates_BMNH_Cerro_de_Palmas_VC_Mex_nowElytrimitatrix_LGB.jpg)
Distenia hoegei Bates Specimen Type: holotype Sex: f Institution: BMNH British Museum Natural History, London, UK Photographer: Larry G. Bezark Collection Location: Cerro de Palmas, Veracruz, Mexico 46616
|
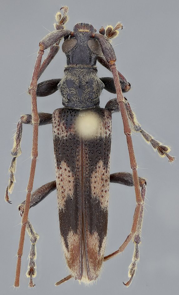
_3kmE_Cuajiniquil_Guanacaste_CR_SS.jpg)
Sex: m Institution: MZSP Museu de Zoologia da Universidade de São Paulo, Brazil Photographer: Antonio Santos-Silva Collection Location: 3 km E Cuajiniquil, Guanacaste, Costa Rica 73258
|