_Villiers_MNHN_FTH.jpg)
Specimen Type: holotype Institution: MNHN Museum of Natural History Paris, France 16108
|

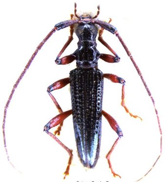
Distenia guyanensis (Villiers) Photographer: Denis Faure Collection Location: French Guiana 21832
|
_(Villiers).jpg)
Sex: m Photographer: Botero 70987
|

Institution: UCB Essig Museum of Entomology, Berkeley, California, USA Photographer: Larry G. Bezark Determiner: Tavakilian Collection Location: French Guiana 6679
|

Photographer: Jean-Louis Giuglaris Collection Location: Belizon, French Guiana 28904
|
|