
Institution: UCB Essig Museum of Entomology, Berkeley, California, USA Photographer: Larry G. Bezark Determiner: Giesbert Collection Location: El Llano Carti, Panama 6665
|
_MZSP_Cana-Pirre_Darien_NP_Panama_SS.jpg)
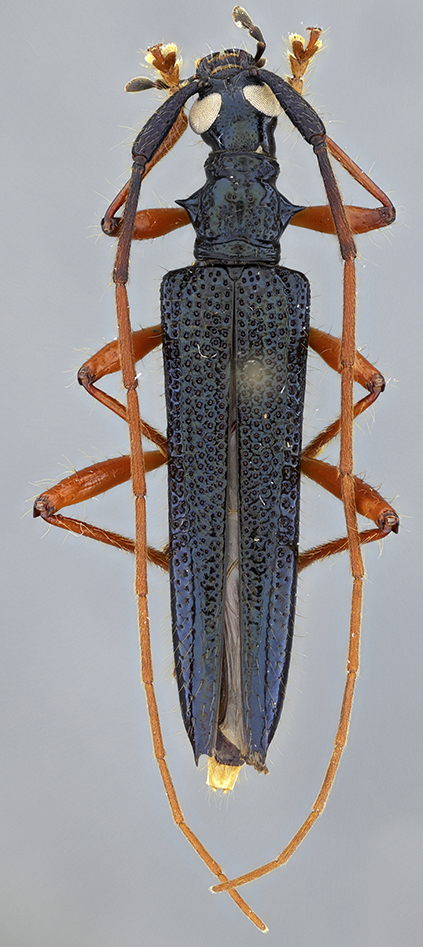
Sex: f Institution: MZSP Museu de Zoologia da Universidade de São Paulo, Brazil Photographer: Antonio Santos-Silva Collection Location: Cana-Pirre, Darien National Park, Panama 73259
|