New Search Family, Subfamily and Tribe List

SubFamily

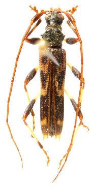
Tribe Disteniini
Novantinoe agriloides (Bates, 1885)

Specimen Type: syntype
Institution: BMNH British Museum Natural History, London, UK
Photographer: Larry G. Bezark
Collection Location: Panima, Sinanja, Guatemala
46610


Sex: m
Photographer: Antonio Santos-Silva
23853

130425