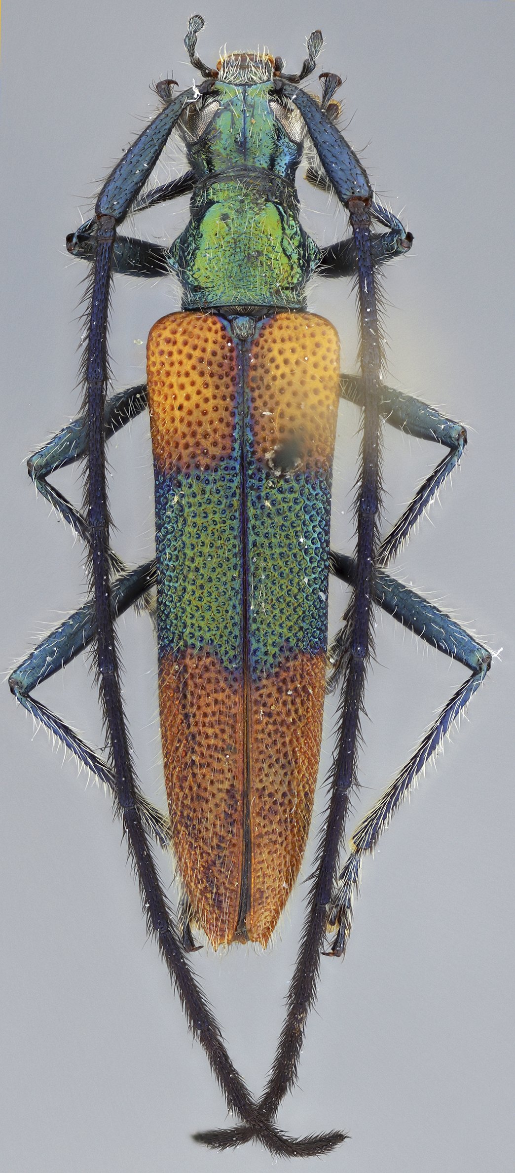
_Hov_SS_NMNH_6kmN_Fortuna_Chiriqui_Panama_now_Arieto_JPB.jpg)
Cometes wappesi Hovore & Santos-Silva Specimen Type: holotype Sex: m Institution: NMNH United States National Museum, Washington, DC, USA Photographer: Juan Pablo Botero Collection Location: 6 km N Fortuna, Chiriqui, Panama 74723
|
_Hov_SS_NMNH_6kmN_Fortuna_Chiriqui_Panama_now_Arieto_JPB.jpg)
Cometes wappesi Hovore & Santos-Silva Specimen Type: holotype Sex: m Institution: NMNH United States National Museum, Washington, DC, USA Photographer: Juan Pablo Botero Collection Location: 6 km N Fortuna, Chiriqui, Panama 74724
|
_Hov_SS_NMNH_6kmN_Fortuna_Chiriqui_Panama_now_Arieto_JPB.jpg)
Cometes wappesi Hovore & Santos-Silva Specimen Type: holotype Sex: m Institution: NMNH United States National Museum, Washington, DC, USA Photographer: Juan Pablo Botero Collection Location: 6 km N Fortuna, Chiriqui, Panama 74725
|
_Hov_SS_NMNH_6kmN_Fortuna_Chiriqui_Panama_now_Arieto_JPB.jpg)
Cometes wappesi Hovore & Santos-Silva Specimen Type: holotype Sex: m Institution: NMNH United States National Museum, Washington, DC, USA Photographer: Juan Pablo Botero Collection Location: 6 km N Fortuna, Chiriqui, Panama 74726
|
_Santos-Silva_and_Martins_Panama_USNM_SWL.jpg)
Cometes wappesi Santos-Silva & Martins Specimen Type: holotype Institution: NMNH United States National Museum, Washington, DC, USA Photographer: Steve Lingafelter Collection Location: Panama 5977
|
_(m)_Santos-Silva_and_Martins_Rev_Bras_Zool.jpg)
Cometes wappesi Santos-Silva & Martins Specimen Type: holotype Sex: m 20175
|
_Hov_SS_NMNH_Fortuna_Dam_Area_Chiriqui_Panama_now_Arieto_JPB.jpg)
Cometes wappesi Hovore & Santos-Silva Specimen Type: paratype Sex: f Institution: NMNH United States National Museum, Washington, DC, USA Photographer: Juan Pablo Botero Collection Location: Fortuna Dam area, Chiriqui, Panama 74727
|
_Hov_SS_NMNH_Fortuna_Dam_Area_Chiriqui_Panama_now_Arieto_JPB.jpg)
Cometes wappesi Hovore & Santos-Silva Specimen Type: paratype Sex: f Institution: NMNH United States National Museum, Washington, DC, USA Photographer: Juan Pablo Botero Collection Location: Fortuna Dam area, Chiriqui, Panama 74728
|
_Hov_SS_NMNH_Fortuna_Dam_Area_Chiriqui_Panama_now_Arieto_JPB.jpg)
Cometes wappesi Hovore & Santos-Silva Specimen Type: paratype Sex: f Institution: NMNH United States National Museum, Washington, DC, USA Photographer: Juan Pablo Botero Collection Location: Fortuna Dam area, Chiriqui, Panama 74729
|
_Hov_SS_NMNH_Fortuna_Dam_Area_Chiriqui_Panama_now_Arieto_JPB.jpg)
Cometes wappesi Hovore & Santos-Silva Specimen Type: paratype Sex: f Institution: NMNH United States National Museum, Washington, DC, USA Photographer: Juan Pablo Botero Collection Location: Fortuna Dam area, Chiriqui, Panama 74730
|

Institution: MZSP Museu de Zoologia da Universidade de São Paulo, Brazil Photographer: Steve Lingafelter 5978
|
|