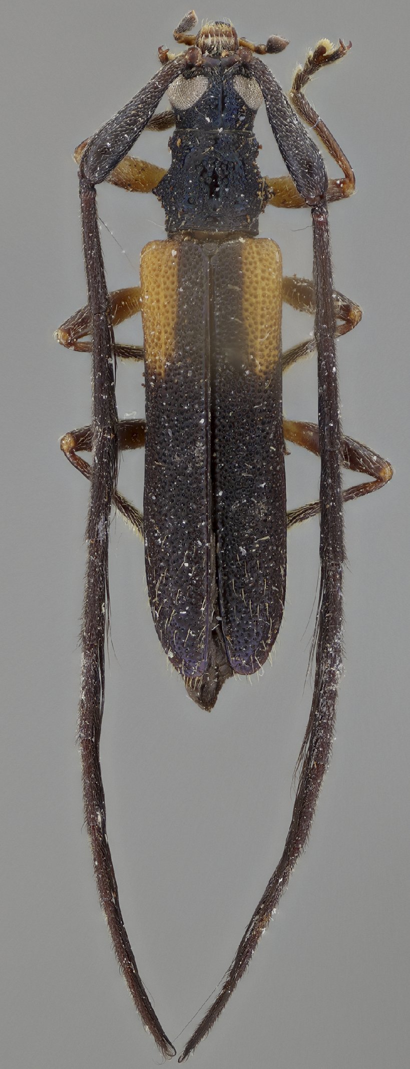
_ Mart_Gal_MPEG_Serra_Norte_(Igarape_Pojuca)_Para_Brazil_now_Cupecuara_SS.jpg)
Paracometes pojuca Martins & Galileo Specimen Type: holotype Sex: f Institution: MPEG Museu Paraense Emilio Goeldi, Belem, Para, Brazil Photographer: Antonio Santos-Silva Collection Location: Serra Norte (Igarape, Pojuca), Para, Brazil 73528
|
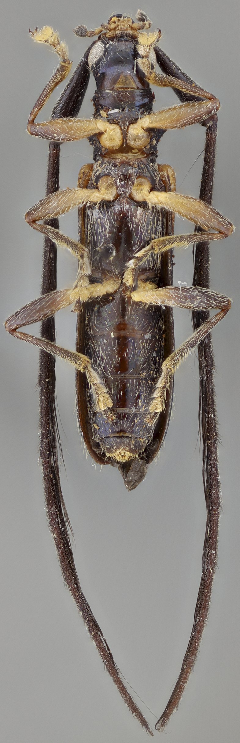
_Martins_and_Galileo_MZSP_SWL_=_Cometes.jpg)
Paracometes pojuca Martins & Galileo Specimen Type: holotype Institution: MZSP Museu de Zoologia da Universidade de São Paulo, Brazil Photographer: Steve Lingafelter 11670
|
_(M_G)_MZSP_Ouro_Preto_do_Oeste_Rondonia_Brazil_SS.jpg)
Sex: m Institution: MZSP Museu de Zoologia da Universidade de São Paulo, Brazil Photographer: Antonio Santos-Silva Collection Location: Ouro Preto do Oeste, Rondonia, Brazil 73529
|
_(M_G)_MZSP_Ouro_Preto_do_Oeste_Rondonia_Brazil_SS.jpg)
Sex: m Institution: MZSP Museu de Zoologia da Universidade de São Paulo, Brazil Photographer: Antonio Santos-Silva Collection Location: Ouro Preto do Oeste, Rondonia, Brazil 73530
|
_(M_G)_MZSP_Ouro_Preto_do_Oeste_Rondonia_Brazil_SS.jpg)
Sex: m Institution: MZSP Museu de Zoologia da Universidade de São Paulo, Brazil Photographer: Antonio Santos-Silva Collection Location: Ouro Preto do Oeste, Rondonia, Brazil 73531
|
_(M_G)_MZSP_Ouro_Preto_do_Oeste_Rondonia_Brazil_SS.jpg)
Sex: m Institution: MZSP Museu de Zoologia da Universidade de São Paulo, Brazil Photographer: Antonio Santos-Silva Collection Location: Ouro Preto do Oeste, Rondonia, Brazil 73532
|
_(M_G)_MZSP_Ouro_Preto_do_Oeste_Rondonia_Brazil_SS.jpg)
Sex: f Institution: MZSP Museu de Zoologia da Universidade de São Paulo, Brazil Photographer: Antonio Santos-Silva Collection Location: Ouro Preto do Oeste, Rondonia, Brazil 73533
|
_(M_G)_MZSP_Ouro_Preto_do_Oeste_Rondonia_Brazil_SS.jpg)
Sex: f Institution: MZSP Museu de Zoologia da Universidade de São Paulo, Brazil Photographer: Antonio Santos-Silva Collection Location: Ouro Preto do Oeste, Rondonia, Brazil 73534
|
_(M_G)_MZSP_Ouro_Preto_do_Oeste_Rondonia_Brazil_SS.jpg)
Sex: f Institution: MZSP Museu de Zoologia da Universidade de São Paulo, Brazil Photographer: Antonio Santos-Silva Collection Location: Ouro Preto do Oeste, Rondonia, Brazil 73535
|
_(M_G)_MZSP_Ouro_Preto_do_Oeste_Rondonia_Brazil_SS.jpg)
Sex: f Institution: MZSP Museu de Zoologia da Universidade de São Paulo, Brazil Photographer: Antonio Santos-Silva Collection Location: Ouro Preto do Oeste, Rondonia, Brazil 73536
|
|