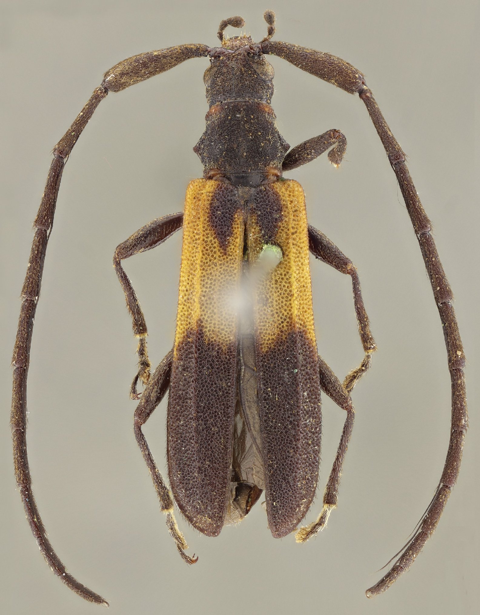
 SS Mart MZSP JPB SS.jpg)
Specimen Type: holotype Sex: m Institution: MZSP Museu de Zoologia da Universidade de São Paulo, Brazil Photographer: Juan Pablo Botero & Antonio Santos-Silva Collection Location: Mar de Espanha, Minas Gerais, Brazil n 96461
|
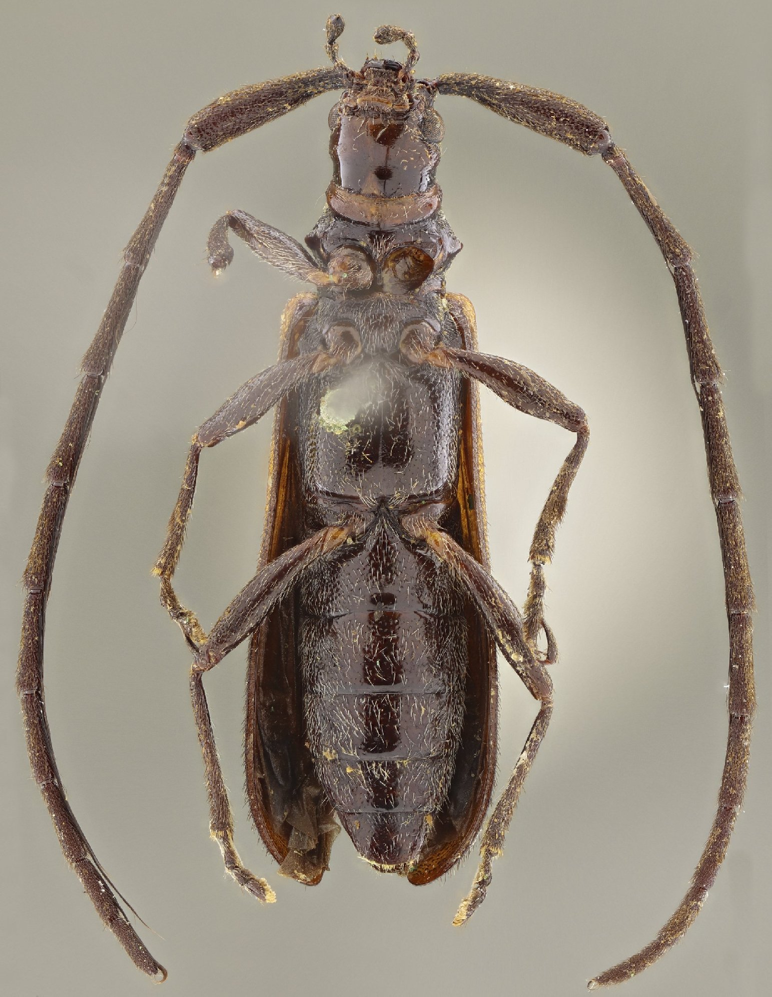
 SS Mart MZSP JPB SS.jpg)
Specimen Type: holotype Sex: m Institution: MZSP Museu de Zoologia da Universidade de São Paulo, Brazil Photographer: Juan Pablo Botero & Antonio Santos-Silva Collection Location: Mar de Espanha, Minas Gerais, Brazil n 96462
|