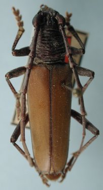
_Mart_MZSP_Botucatu_SP_Braz_=_Potiaxixa.jpg)
Brasilianus intermedia Martins Specimen Type: holotype Sex: m Institution: MZSP Museu de Zoologia da Universidade de São Paulo, Brazil Photographer: Larry G. Bezark Collection Location: Botucatu, Sao Paolo, Brazil 33146
|
_Mart_MZSP_Botucatu_SP_Braz_=_Potiaxixa.jpg)
Brasilianus intermedia Martins Specimen Type: paratype Sex: f Institution: MZSP Museu de Zoologia da Universidade de São Paulo, Brazil Photographer: Larry G. Bezark Collection Location: Botucatu, Sao Paolo, Brazil 33147
|