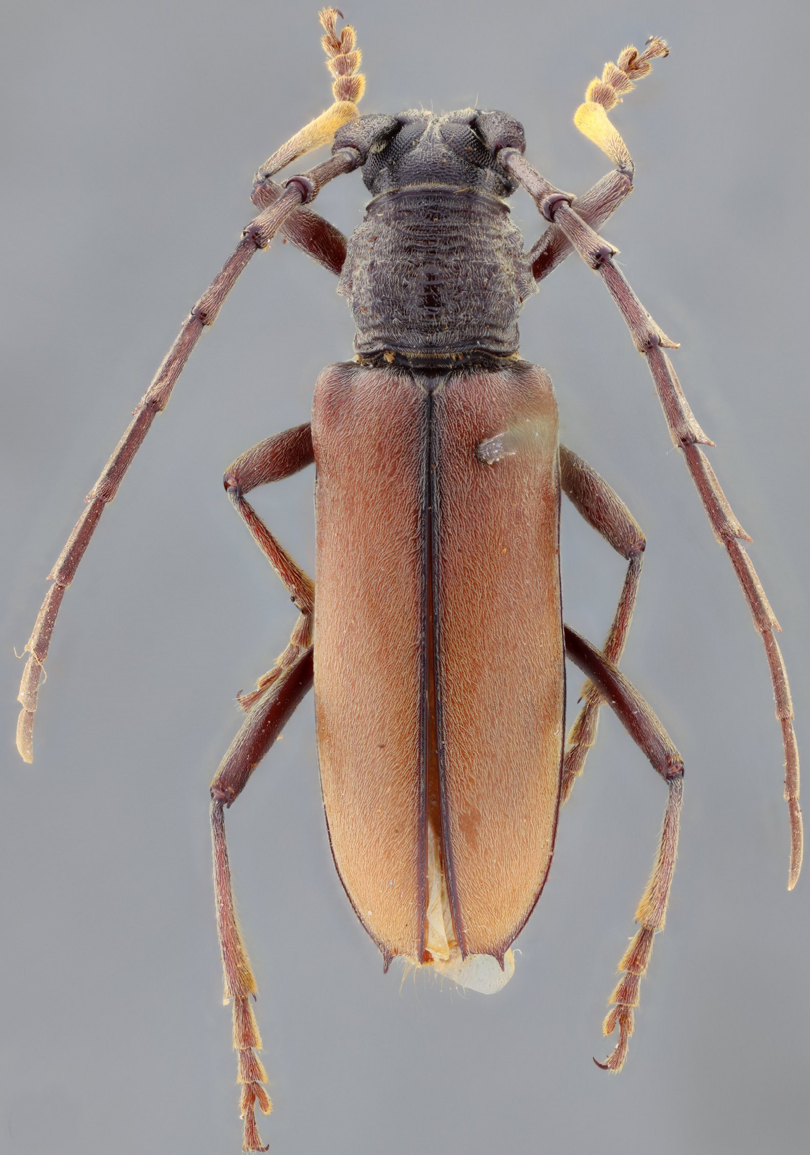
_Chemsak_and_Noguera_11km_N_Merida_Tamanche_Mexico_UCB_=_Plocaederus_yucatecus.jpg)
Brasilianus yucatecus Chemsak & Noguera Specimen Type: holotype Sex: f Institution: EMEC Essig Museum of Entomology, Berkeley, CA, USA Photographer: Larry G. Bezark Collection Location: Tamanche, 11km N Merida, Yucatan, Mexico 15389
|
_Chemsak_and_Noguera_UCB_=_Plocaederus.jpg)
Brasilianus yucatecus Chemsak & Noguera Specimen Type: paratype Institution: UCB Essig Museum of Entomology, Berkeley, California, USA Photographer: Larry G. Bezark 5079
|
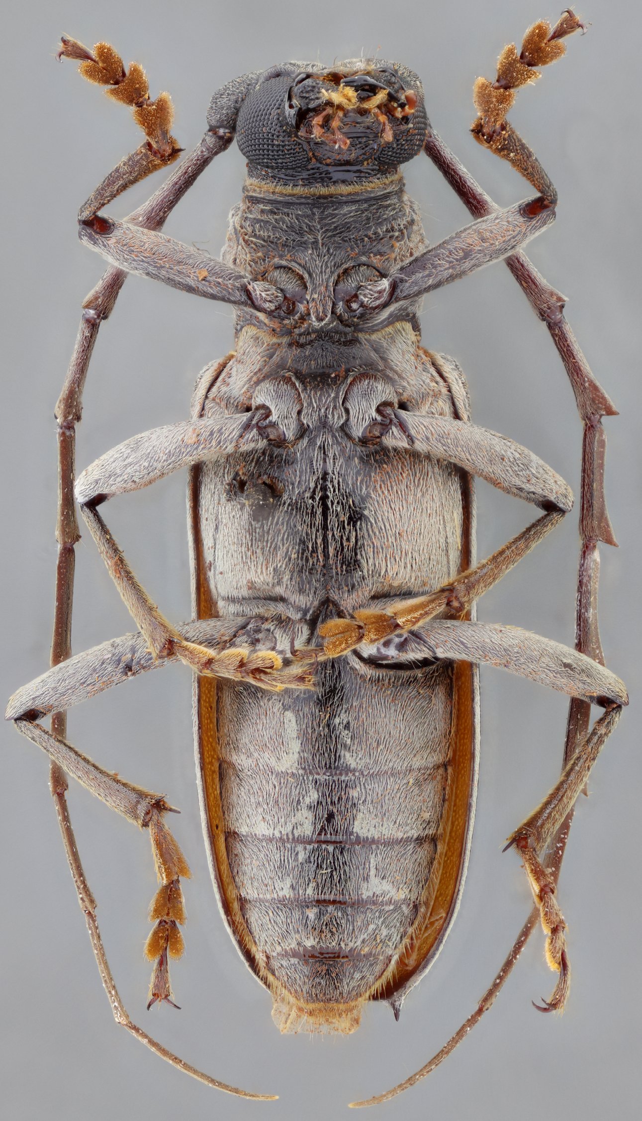
_Martins_and_Monne_MNRJ_SWL.jpg)
Plocaederus barauna Martins & Monne Specimen Type: holotype Sex: m Institution: MNRJ Museu Nacional Universidade do Rio Janeiro, Brazil Photographer: Steve Lingafelter Collection Location: Brandão, Paraiba, Brazil 12324
|
 Chemsak Noguera MZSP Brandão, Paraiba, Brazil now Hamaederus SS.jpg)
Plocaederus barauna Chemsak & Noguera Specimen Type: paratype Sex: f Institution: MZSP Museu de Zoologia da Universidade de São Paulo, Brazil Photographer: Antonio Santos-Silva Collection Location: Brandão, Paraiba, Brazil 76991
|
 Mart Monne MZSP Rolandia, Parana, Brazil now Hamaederus yucat SS.jpg)
Plocaederus confusus Martins & Monne Specimen Type: holotype Sex: m Institution: MZSP Museu de Zoologia da Universidade de São Paulo, Brazil Photographer: Antonio Santos-Silva Collection Location: Rolandia, Parana, Brazil 76992
|
 Mart Monne MZSP Rolandia, Parana, Brazil now Hamaederus yucat SS.jpg)
Plocaederus confusus Martins & Monne Specimen Type: holotype Sex: m Institution: MZSP Museu de Zoologia da Universidade de São Paulo, Brazil Photographer: Antonio Santos-Silva Collection Location: Rolandia, Parana, Brazil 76993
|
 Mart Monne MZSP Rolandia, Parana, Brazil now Hamaederus yucat SS (2).jpg)
Plocaederus confusus Martins & Monne Specimen Type: paratype Sex: m Institution: MZSP Museu de Zoologia da Universidade de São Paulo, Brazil Photographer: Antonio Santos-Silva Collection Location: Rolandia, Parana, Brazil 76994
|
 Mart Monne MZSP Rolandia, Parana, Brazil now Hamaederus yucat SS.jpg)
Plocaederus confusus Martins & Monne Specimen Type: paratype Sex: f Institution: MZSP Museu de Zoologia da Universidade de São Paulo, Brazil Photographer: Antonio Santos-Silva Collection Location: Rolandia, Parana, Brazil 76995
|
 Mart Monne MZSP Rolandia, Parana, Brazil now Hamaederus yucat SS3.jpg)
Plocaederus confusus Martins & Monne Specimen Type: paratype Sex: m Institution: MZSP Museu de Zoologia da Universidade de São Paulo, Brazil Photographer: Antonio Santos-Silva Collection Location: Rolandia, Parana, Brazil 76996
|
 (Chem Nog) MZSP Buena Vista, SC Bolivia SS.jpg)
Sex: m Institution: MZSP Museu de Zoologia da Universidade de São Paulo, Brazil Photographer: Antonio Santos-Silva Collection Location: Hotel Flora & Fauna, Buena Vista, Santa Cruz, Bolivia 76987
|
 (Chem Nog) MZSP El Chorreodero Cyn, Chiapas, Mexico SS.jpg)
Sex: m Institution: MZSP Museu de Zoologia da Universidade de São Paulo, Brazil Photographer: Antonio Santos-Silva Collection Location: El Chorreodero Canyon, Chiapas, Mexico 76988
|
 (Chem Nog) MZSP vic Bagaces, Guanacaste CR SS.jpg)
Sex: m Institution: MZSP Museu de Zoologia da Universidade de São Paulo, Brazil Photographer: Antonio Santos-Silva Collection Location: vicinity of Bagaces, Guanacaste, Costa Rica 76989
|
 (Chem Nog) MZSP vic Ocozocoautla, Chiapas, Mexico SS.jpg)
Sex: m Institution: MZSP Museu de Zoologia da Universidade de São Paulo, Brazil Photographer: Antonio Santos-Silva Collection Location: vicinity of Ocozocoautla, Chiapas, Mexico 76990
|

Plocaederus confusus Martins & Monne Photographer: Jim Wappes Collection Location: Bolivia 12329
|

Plocaederus confusus Martins & Monne Photographer: Jim Wappes Collection Location: Bolivia 12330
|

Collection Location: Nicaragua 28440
|