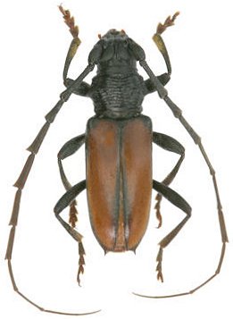
 Gounelle MNHN Jatai, Goias, Brazil now Hamaeder Moure.jpg)
Hammatochaerus rusticus Gounelle Specimen Type: syntype Institution: MNHN Museum of Natural History Paris, France Photographer: JS Moure Collection Location: Jatai, Goias, Brazil 101820
|
 Gounelle BMNH Jatai, Goias, Brazil now Hamaeder Moure.jpg)
Hammatochaerus rusticus Gounelle Specimen Type: syntype Sex: f Institution: BMNH British Museum Natural History, London, UK Photographer: JS Moure Collection Location: Jatai, Goias, Brazil 101821
|
 (Gounelle) MZSP Peru SS.jpg)
Sex: m Institution: MZSP Museu de Zoologia da Universidade de São Paulo, Brazil Photographer: Antonio Santos-Silva Collection Location: Peru 76984
|
 (Gounelle) MZSP Peru SS.jpg)
Sex: m Institution: MZSP Museu de Zoologia da Universidade de São Paulo, Brazil Photographer: Antonio Santos-Silva Collection Location: Peru 76985
|
 (Gounelle) MZSP Peru SS.jpg)
Sex: m Institution: MZSP Museu de Zoologia da Universidade de São Paulo, Brazil Photographer: Antonio Santos-Silva Collection Location: Peru 76986
|
_Bolivia_Wappes_Photo.jpg)
Photographer: Jim Wappes Collection Location: Bolivia 12341
|

Photographer: Odette Morvan Collection Location: French Guiana 31511
|