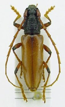
 Gahan BMNH Cayenne, French Guiana now Hamaed plic Moure.jpg)
Hammaticherus luridipennis Gahan Specimen Type: holotype Institution: BMNH British Museum Natural History, London, UK Photographer: JS Moure Collection Location: Cayenne, French Guiana 101817
|
_BMNH_Hespenheide_FTH.jpg)
Institution: BMNH British Museum Natural History, London, UK Photographer: Henry Hespenheide 18245
|
_FTH.jpg)
Institution: FTH Frank T. Hovore collection (now at California Academy of Sciences) 20646
|
_Faure_French_Guiana.jpg)
Photographer: Denis Faure Collection Location: French Guiana 23665
|
_Bolivia_Wappes_Photo.jpg)
Photographer: Jim Wappes Collection Location: Bolivia 12337
|
_Det_Giesbert_as_Brasilianus_LGB.jpg)
Photographer: Larry G. Bezark Determiner: Giesbert Collection Location: as Brasilianus 12338
|
_Det_Tavakilian_UCB_as_Brasilianus_luridipennis_(Gahan).jpg)
Institution: UCB Essig Museum of Entomology, Berkeley, California, USA Photographer: Larry G. Bezark Determiner: Tavakilian Collection Location: as Brasilianus luridipennis (Gahan) 12339
|