_Mtns_and_Monne_INPA_MZSP_Rio_Urubu_RO_Braz.jpg)
Plocaederus mirim Martins & Monne Specimen Type: holotype Sex: m Institution: INPA Instituto Nacional de Pesquisas da Amazonia, Manaus, Brazil Photographer: Larry G. Bezark Collection Location: Rio Urubu, Rondonia, Brazil 33747
|
_Mart_Monne_INPA_Rio_Urubu_RO_Brazil_SS.jpg)
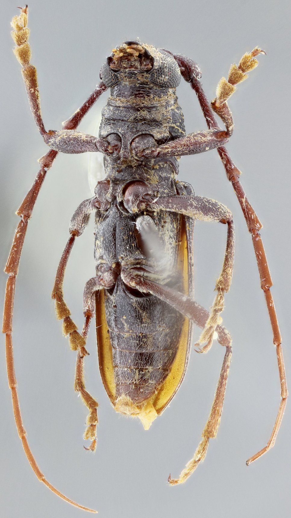
Plocaederus mirim Martins & Monne Specimen Type: holotype Sex: m Institution: INPA Instituto Nacional de Pesquisas da Amazonia, Manaus, Brazil Photographer: Antonio Santos-Silva Collection Location: Rio Urubu, Rondonia, Brazil 64064
|
_Mart_Monne_INPA_Rio_Urubu_RO_Brazil_SS.jpg)
Plocaederus mirim Martins & Monne Specimen Type: holotype Sex: m Institution: INPA Instituto Nacional de Pesquisas da Amazonia, Manaus, Brazil Photographer: Antonio Santos-Silva Collection Location: Rio Urubu, Rondonia, Brazil 64065
|
_Mart_Monne_INPA_Rio_Urubu_RO_Brazil_SS.jpg)
Plocaederus mirim Martins & Monne Specimen Type: holotype Sex: m Institution: INPA Instituto Nacional de Pesquisas da Amazonia, Manaus, Brazil Photographer: Antonio Santos-Silva Collection Location: Rio Urubu, Rondonia, Brazil 64066
|
_Mart_Monne_INPA_Rio_Urubu_RO_Brazil_SS.jpg)
Plocaederus mirim Martins & Monne Specimen Type: holotype Sex: m Institution: INPA Instituto Nacional de Pesquisas da Amazonia, Manaus, Brazil Photographer: Antonio Santos-Silva Collection Location: Rio Urubu, Rondonia, Brazil 64067
|
_Mart_Monne_ACMT_rd_to_Kaw_pk31_Cayenne_Fr_G_Wappes.jpg)
Sex: m Institution: ACMT American Coleoptera Collection, Texas (now at FSCA) Photographer: Jim Wappes Collection Location: rd to Kaw, pk31, Cayenne, French Guiana 64068
|
_Mart_Monne_ACMT_rd_to_Kaw_pk31_Cayenne_Fr_G_Wappes.jpg)
Sex: m Institution: ACMT American Coleoptera Collection, Texas (now at FSCA) Photographer: Jim Wappes Collection Location: rd to Kaw, pk31, Cayenne, French Guiana 64069
|
_Mart_Monne_ACMT_rd_to_Kaw_pk31_Cayenne_Fr_G_Wappes.jpg)
Sex: m Institution: ACMT American Coleoptera Collection, Texas (now at FSCA) Photographer: Jim Wappes Collection Location: rd to Kaw, pk31, Cayenne, French Guiana 64070
|
_Mart_Monne_ACMT_rd_to_Kaw_pk31_Cayenne_Fr_G_Wappes.jpg)
Sex: f Institution: ACMT American Coleoptera Collection, Texas (now at FSCA) Photographer: Jim Wappes Collection Location: rd to Kaw, pk31, Cayenne, French Guiana 64071
|
|