 Mart AMNH 150 mi W of Puerto Casado, Chaco, Boqueron, Paraguay now Hamaederus SS.jpg)
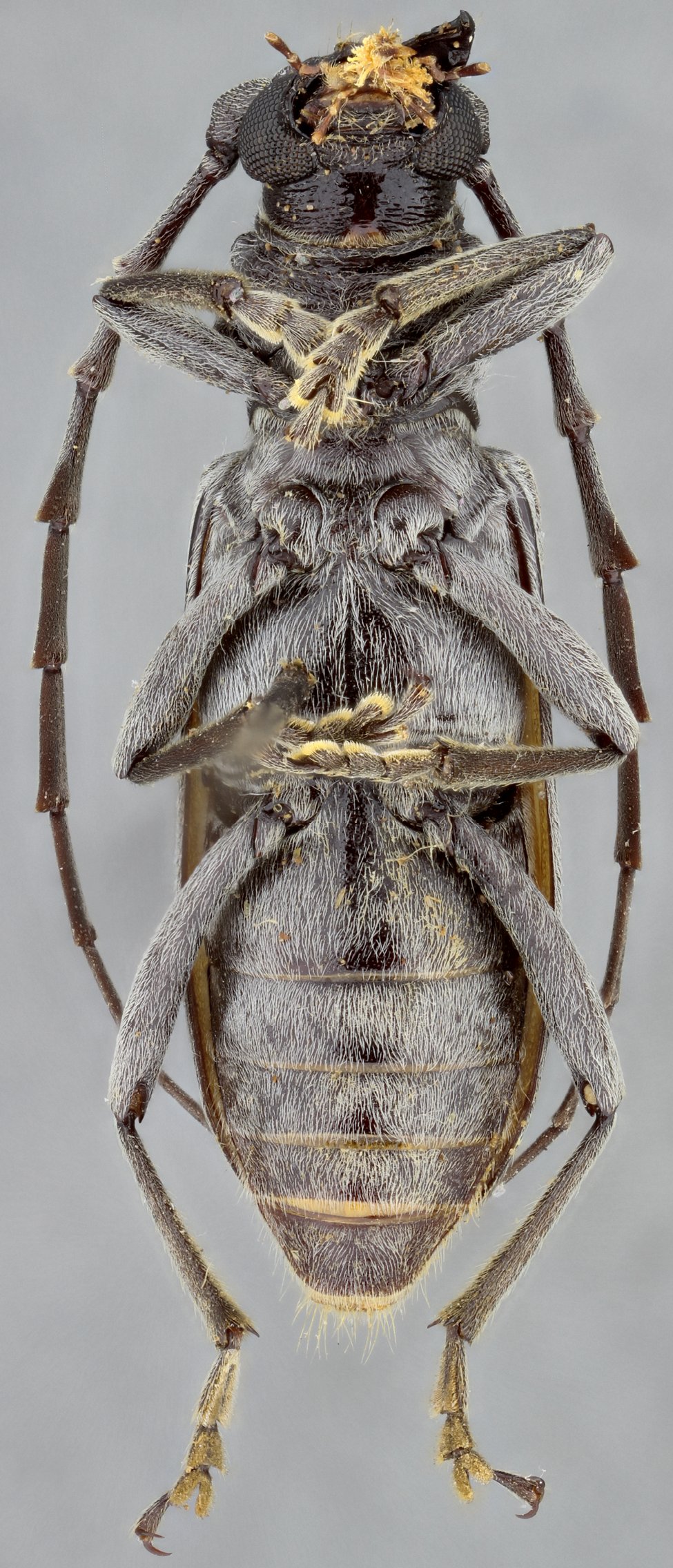
Brasilianus fraterculus Martins Specimen Type: holotype Sex: f Institution: AMNH American Museum of Natural History, New York, NY, USA Photographer: Antonio Santos-Silva Collection Location: 150 mi W of Puerto Casado, Chaco, Boqueron, Paraguay 76950
|
 Mart AMNH 150 mi W of Puerto Casado, Chaco, Boqueron, Paraguay now Hamaederus SS.jpg)
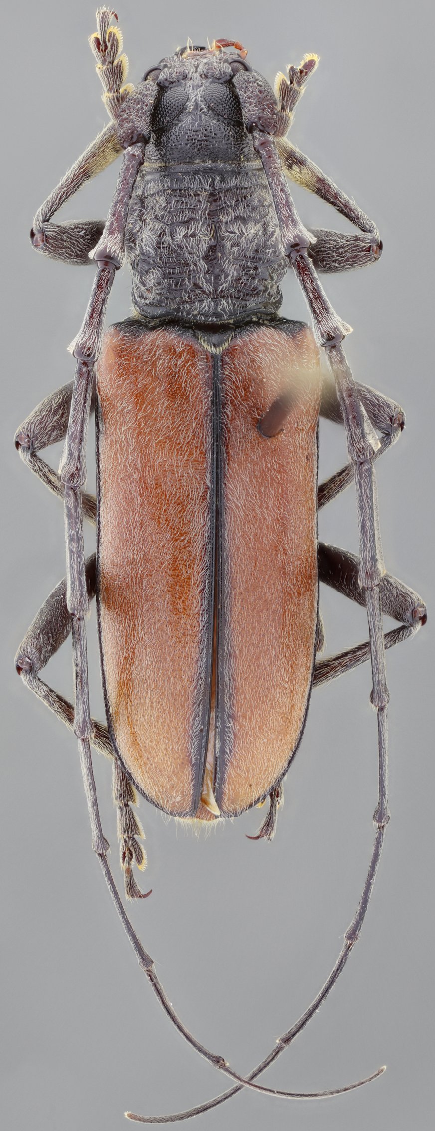
Brasilianus fraterculus Martins Specimen Type: holotype Sex: f Institution: AMNH American Museum of Natural History, New York, NY, USA Photographer: Antonio Santos-Silva Collection Location: 150 mi W of Puerto Casado, Chaco, Boqueron, Paraguay 76951
|
 Mart AMNH 150 mi W of Puerto Casado, Chaco, Boqueron, Paraguay now Hamaederus SS.jpg)
Brasilianus fraterculus Martins Specimen Type: holotype Sex: f Institution: AMNH American Museum of Natural History, New York, NY, USA Photographer: Antonio Santos-Silva Collection Location: 150 mi W of Puerto Casado, Chaco, Boqueron, Paraguay 76952
|
_Martins_AMNH_150miWfromPuerto_Casado_Chaco_Boqueron_Parag.jpg)
Brasilianus fraterculus Martins Specimen Type: holotype Sex: f Institution: AMNH American Museum of Natural History, New York, NY, USA Photographer: Larry G. Bezark Collection Location: 150 mi W of Puerto Casado, Chaco, Boqueron, Paraguay 33145
|
_Paraguay_Dep_Kanindeyu_Mehl.jpg)
Specimen Type: maybe this taxon Photographer: Ole Mehl Collection Location: Department Canindeyu, Paraguay 36881
|
 (Martins) MZSP SS.jpg)
Sex: f Institution: MZSP Museu de Zoologia da Universidade de São Paulo, Brazil Photographer: Antonio Santos-Silva 76953
|
 (Martins) MZSP SS.jpg)
Sex: m Institution: MZSP Museu de Zoologia da Universidade de São Paulo, Brazil Photographer: Antonio Santos-Silva 76954
|
 (Martins) MZSP SS.jpg)
Sex: m Institution: MZSP Museu de Zoologia da Universidade de São Paulo, Brazil Photographer: Antonio Santos-Silva 76955
|
 (Martins) MZSP SS.jpg)
Sex: m Institution: MZSP Museu de Zoologia da Universidade de São Paulo, Brazil Photographer: Antonio Santos-Silva 76956
|
 (Martins) MZSP SS.jpg)
Sex: m Institution: MZSP Museu de Zoologia da Universidade de São Paulo, Brazil Photographer: Antonio Santos-Silva 76957
|
|