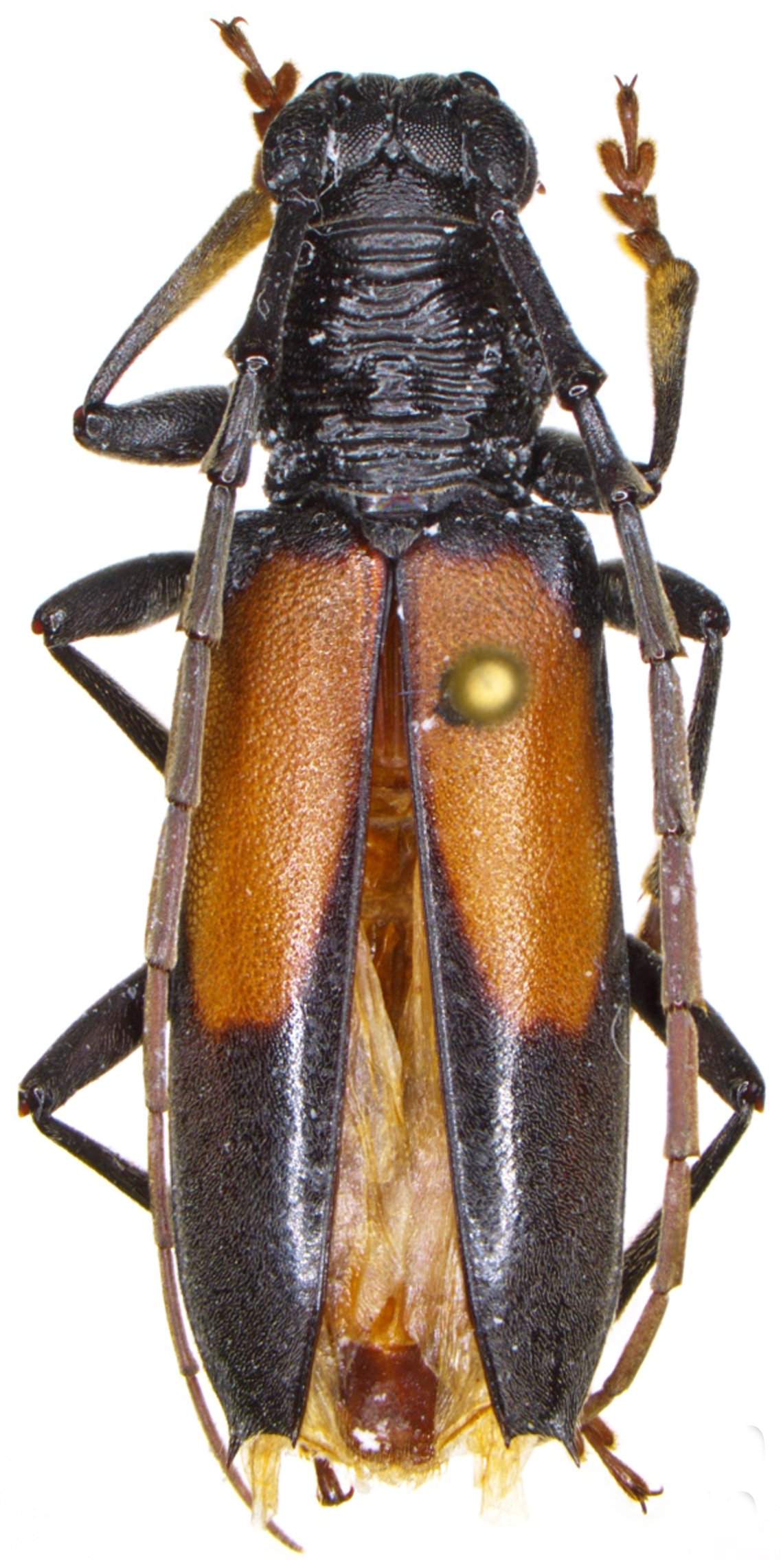
 Buquet MNHN Cayenne, French Guiana now Hamaederus Moure.jpg)
Plocaederus bipartitus Buquet Specimen Type: holotype Institution: MNHN Museum of Natural History Paris, France Photographer: JS Moure Collection Location: Cayenne, French Guiana 101965
|
 (Buquet) MZSP French Guiana SS.jpg)
Sex: m Institution: MZSP Museu de Zoologia da Universidade de São Paulo, Brazil Photographer: Antonio Santos-Silva Collection Location: French Guiana 76968
|
 (Buquet) MZSP French Guiana SS.jpg)
Sex: m Institution: MZSP Museu de Zoologia da Universidade de São Paulo, Brazil Photographer: Antonio Santos-Silva Collection Location: French Guiana 76969
|
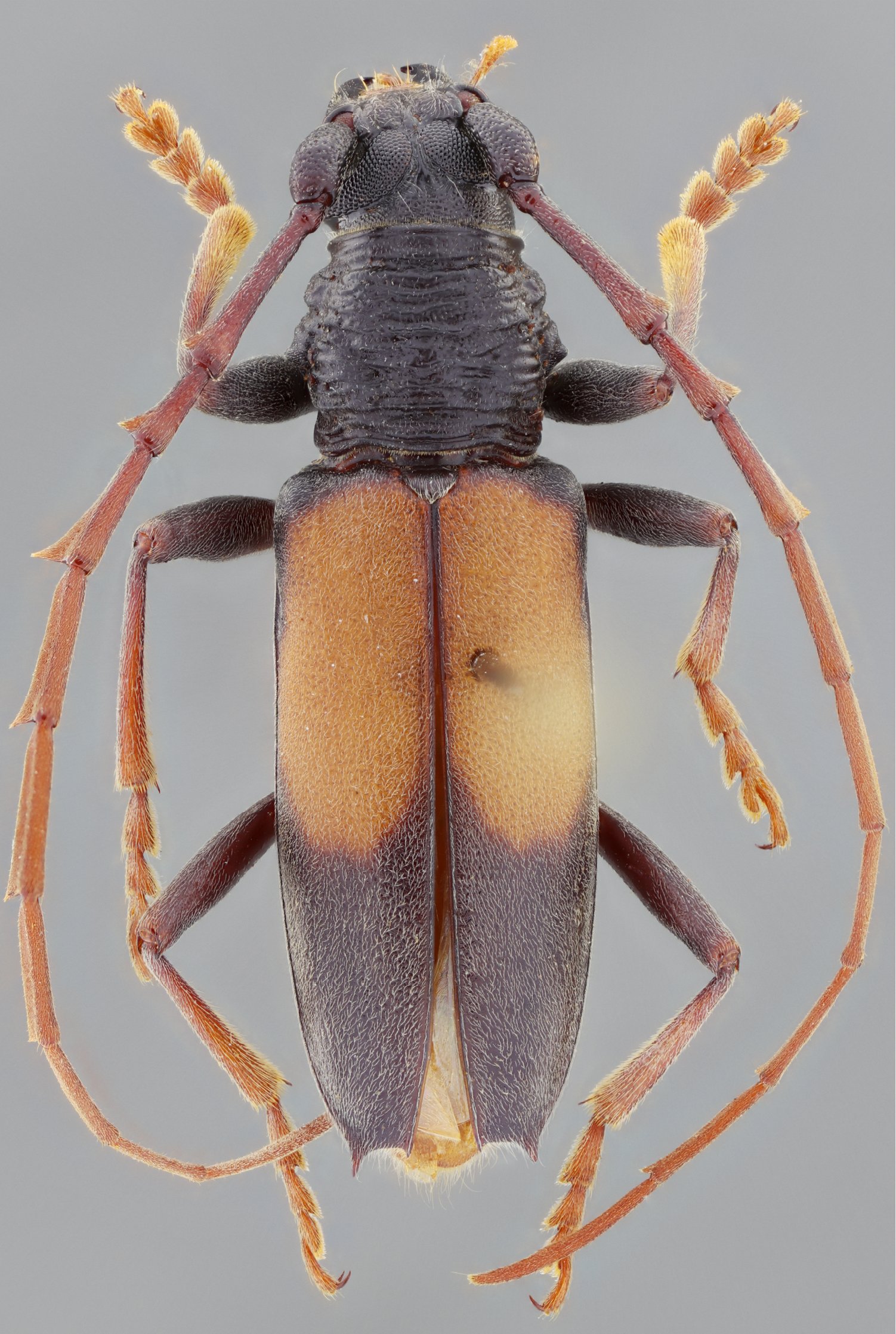
 (Buquet) Ecuador SWL.jpg)
Sex: f Photographer: Steve Lingafelter Collection Location: Ecuador 76970
|
 (Buquet) Ecuador SWL.jpg)
Sex: f Photographer: Steve Lingafelter Collection Location: Ecuador 76971
|
 (Buquet) Ecuador SWL.jpg)
Sex: f Photographer: Steve Lingafelter Collection Location: Ecuador 76972
|
 (Buquet) MZSP Bolivia SS.jpg)
Sex: f Institution: MZSP Museu de Zoologia da Universidade de São Paulo, Brazil Photographer: Antonio Santos-Silva Collection Location: Bolivia 76973
|
 (Buquet) Ramirez Coll San Juan de Polis, Rio Momon, Loreto, Peru SS.jpg)
Sex: m Institution: Ramirez Collection Photographer: Antonio Santos-Silva Collection Location: San Juan de Polis, Rio Momon, Loreto, Peru 29256
|

Photographer: Denis Faure Collection Location: French Guiana 23663
|
_Bolivia_Wappes_Photo.jpg)
Photographer: Jim Wappes Collection Location: Bolivia 12325
|
_Det_Tavakilian_UCB_as_Brasilianus.jpg)
Institution: UCB Essig Museum of Entomology, Berkeley, California, USA Photographer: Larry G. Bezark Determiner: Tavakilian Collection Location: as Brasilianus 12326
|
_FTH.jpg)
Institution: FTH Frank T. Hovore collection (now at California Academy of Sciences) Photographer: Larry G. Bezark 12327
|
_FTH.jpg)
Institution: FTH Frank T. Hovore collection (now at California Academy of Sciences) Photographer: Larry G. Bezark 12328
|