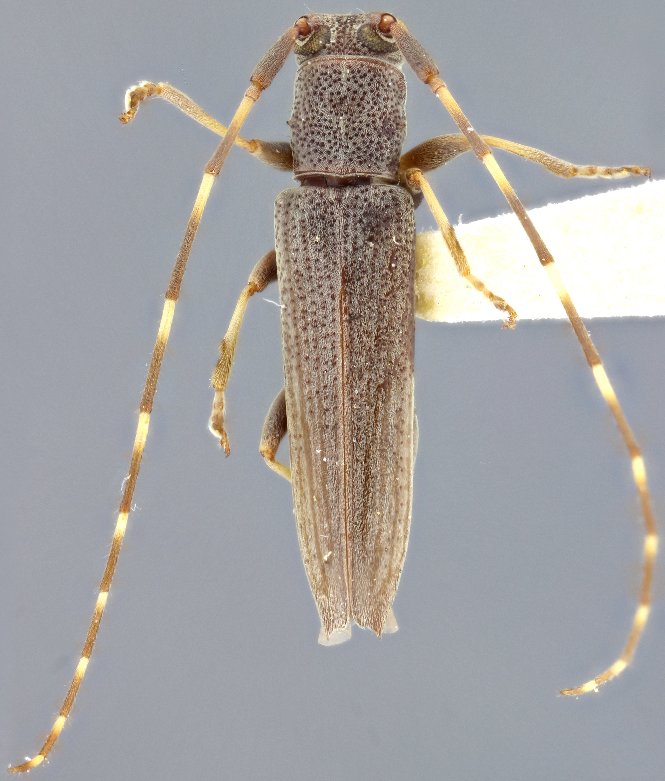
_Martins_Galileo_MZSP_Guayguayare_Trinidad_SS.jpg)
Specimen Type: paratype Sex: f Institution: MZSP Museu de Zoologia da Universidade de São Paulo, Brazil Photographer: Antonio Santos-Silva Collection Location: Guayguayare, Trinidad 62429
|
_Martins_and_Galileo_MZSP_SWL.jpg)
Specimen Type: paratype Sex: f Institution: MZSP Museu de Zoologia da Universidade de São Paulo, Brazil Photographer: Steve Lingafelter Collection Location: Guayguayare, Trinidad 10648
|