_Aurivillius_NHRS_Mapiri_Pando_Bolivia_Moore.jpg)
Specimen Type: holotype Institution: NHRS Naturhistoriska Riksmuseet, Stockholm, Sweden Photographer: Norma Giambarresi Ganho Collection Location: Mapiri, Pando, Bolivia 62416
|
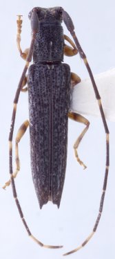
_Aurivillius_NHRS_Tav_Bolivia.jpg)
Specimen Type: holotype Institution: NHRS Naturhistoriska Riksmuseet, Stockholm, Sweden Photographer: Gerard Tavakilian Collection Location: Mapiri, Pando, Bolivia 17536
|